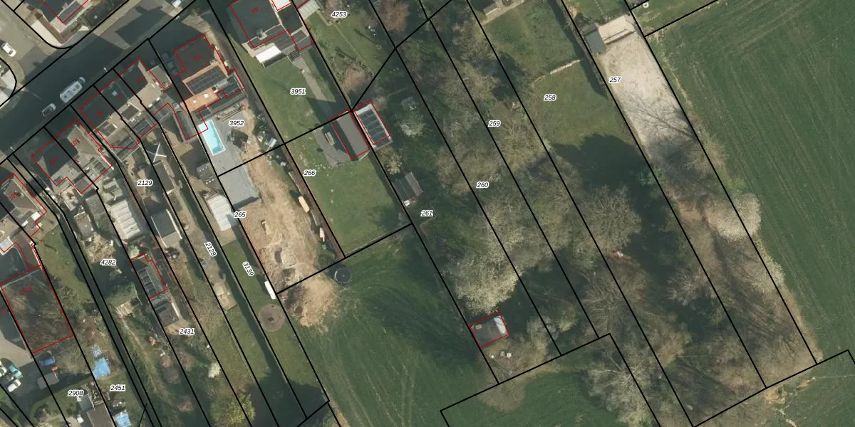
Perceel: NUT00-P-261

Adres bij perceel

Geen adressen bij dit perceel

Perceeloppervlakte & perceelomtrek

1.237 m2 - 188 m

Eigenaar van het perceel

Eigenaar opvragen

Kadastrale aanduiding

NUT00-P-261 (Nuth)

Postcode in perceel

    Geen postcode aanwezig

Type eigenaar

ztcxiKzA7wgb4Bjvrv3oOUpgrade naar KadastraleKaart Pro

Google Street View

Bekijk op Street View

Download

Download DWG/DXF/Excel

Gerelateerde percelen

2 wGDnDbSta IrUkBqsZgNUpgrade naar KadastraleKaart Pro

Bebouwd/onbebouwd/water/groen

9Top3mVYDoyy4Upgrade naar KadastraleKaart Pro
Administratieve eenheden
vNO e9iWomVPO1dVB2zzb4Upgrade naar KadastraleKaart Pro

Appartementsrechten

uL1a0XrC5Zb6l2wIvX0Upgrade naar KadastraleKaart Pro

Vergunningverlenende instanties

blDdm6xL TiUpgrade naar KadastraleKaart Pro

Bedekking (BGT)

dU7DKR2RatAUpgrade naar KadastraleKaart Pro

Publiekrechtelijke beperkingen

pBFUY7 L5TKAEGypmUpgrade naar KadastraleKaart Pro

Grensnauwkeurigheid

vwarbB2Y7dP lV3waUpgrade naar KadastraleKaart Pro

Coördinaten hoekpunten perceel

g3RC q27kC Upgrade naar KadastraleKaart Pro

Hoogteligging

l36ScwCGViUpgrade naar KadastraleKaart Pro

Laatst gewijzigd

19/10/2009

Kadastrale kaart met maatvoering 59,95
Kadastrale kaart pakket 28,95

Percelen

Gebruik de zoekbalk of klik op een perceel om informatie over het perceel te bekijken.
Locatie
Meten
Lagen
Download