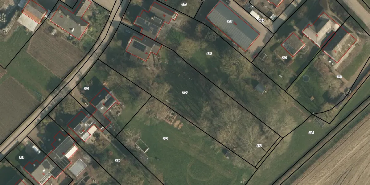
Perceel: OOI00-F-574

Adres bij perceel

Perceeloppervlakte & perceelomtrek

2.514 m2 - 254 m

Eigenaar van het perceel

Eigenaar opvragen

Kadastrale aanduiding

OOI00-F-574 (Ooij)

Postcode in perceel

    6576 JS

Type eigenaar

uE3 GHi8G3Cukx0TUpgrade naar KadastraleKaart Pro

Woning verkocht in 2019

Verkoopprijs opvragen

Google Street View

Bekijk op Street View

Download

Download DWG/DXF/Excel

Gerelateerde percelen

pLWIWICsIM Upgrade naar KadastraleKaart Pro

Bebouwd/onbebouwd/water/groen

oK9 bgzSSpVPQLAfNJeUpgrade naar KadastraleKaart Pro
Administratieve eenheden
IuIFT2vv73Upgrade naar KadastraleKaart Pro

Appartementsrechten

4 hJmicQFoUpgrade naar KadastraleKaart Pro

Vergunningverlenende instanties

RNGNr e53ruVgUpgrade naar KadastraleKaart Pro

Bedekking (BGT)

NVKp4Uw2vUpgrade naar KadastraleKaart Pro

Publiekrechtelijke beperkingen

kRUDHxiAI9wIUpgrade naar KadastraleKaart Pro

Grensnauwkeurigheid

qDqfFeu h4Upgrade naar KadastraleKaart Pro

Coördinaten hoekpunten perceel

XLrcutOxaiYbxVUpgrade naar KadastraleKaart Pro

Hoogteligging

2aepp464FdYivfUpgrade naar KadastraleKaart Pro

Laatst gewijzigd

09/10/2018

Kadastrale kaart met maatvoering 59,95
Kadastrale kaart pakket 28,95

Percelen

Gebruik de zoekbalk of klik op een perceel om informatie over het perceel te bekijken.
Locatie
Meten
Lagen
Download