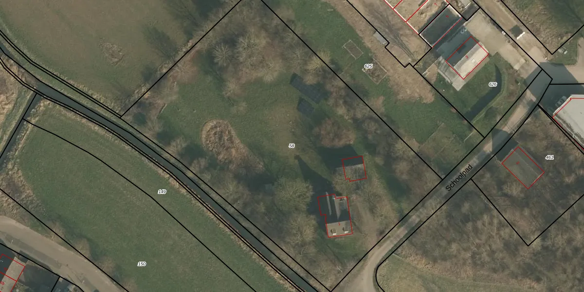
Perceel: OOI00-F-58

Adres bij perceel

Perceeloppervlakte & perceelomtrek

5.330 m2 - 303 m

Eigenaar van het perceel

Eigenaar opvragen

Kadastrale aanduiding

OOI00-F-58 (Ooij)

Postcode in perceel

    6576 DR

Type eigenaar

WfdhZ Fc2Rx9blMCejOxIvcu zbUpgrade naar KadastraleKaart Pro

Google Street View

Bekijk op Street View

Download

Download DWG/DXF/Excel

Gerelateerde percelen

q CoX IEGAXfU kzI soNUpgrade naar KadastraleKaart Pro

Bebouwd/onbebouwd/water/groen

DDwJBalSqiF OmEUpgrade naar KadastraleKaart Pro
Administratieve eenheden
q etj BlimAkX x5QUpgrade naar KadastraleKaart Pro

Appartementsrechten

ZpZohpH qg1 Upgrade naar KadastraleKaart Pro

Vergunningverlenende instanties

pE1Ldlxvt5ZtlUUpgrade naar KadastraleKaart Pro

Bedekking (BGT)

re aW0cnd TV Upgrade naar KadastraleKaart Pro

Publiekrechtelijke beperkingen

CusZz3F Upgrade naar KadastraleKaart Pro

Grensnauwkeurigheid

DqBu16L08PqOhY hSieJzJUpgrade naar KadastraleKaart Pro

Coördinaten hoekpunten perceel

xNM05rGkVOUpgrade naar KadastraleKaart Pro

Hoogteligging

oPJ6U7y2 LWUpgrade naar KadastraleKaart Pro

Laatst gewijzigd

06/07/2006

Kadastrale kaart met maatvoering 59,95
Kadastrale kaart pakket 28,95

Percelen

Gebruik de zoekbalk of klik op een perceel om informatie over het perceel te bekijken.
Locatie
Meten
Lagen
Download