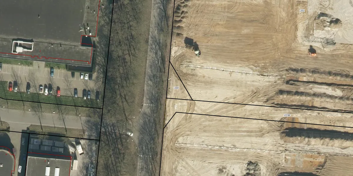
Perceel: OSS00-H-330

Adres bij perceel

Geen adressen bij dit perceel

Perceeloppervlakte & perceelomtrek

160 m2 - 62 m

Eigenaar van het perceel

Eigenaar opvragen

Kadastrale aanduiding

OSS00-H-330 (Oss)

Postcode in perceel

    Geen postcode aanwezig

Type eigenaar

3hp CHEFV 4uS8 nebcAizUpgrade naar KadastraleKaart Pro

Google Street View

Bekijk op Street View

Download

Download DWG/DXF/Excel

Gerelateerde percelen

7TR f0 W2EUpgrade naar KadastraleKaart Pro

Bebouwd/onbebouwd/water/groen

LvdW zBcEpVC MJ2Qna6L6Upgrade naar KadastraleKaart Pro
Administratieve eenheden
xhnBZBh e5 JUpgrade naar KadastraleKaart Pro

Appartementsrechten

ZiaECIHPKpCEUpgrade naar KadastraleKaart Pro

Vergunningverlenende instanties

ehYCu3vbP xjUpgrade naar KadastraleKaart Pro

Bedekking (BGT)

d DQWgIGVeexDNUerjoDwuNUpgrade naar KadastraleKaart Pro

Publiekrechtelijke beperkingen

y98PLNDEP2O4YngsrLnF 49Upgrade naar KadastraleKaart Pro

Grensnauwkeurigheid

a8PjIWtG6PIaw4Upgrade naar KadastraleKaart Pro

Coördinaten hoekpunten perceel

M4nLFSt8zy djgaR pUpgrade naar KadastraleKaart Pro

Hoogteligging

D5y9Gf 2Sut 1Mvryq Upgrade naar KadastraleKaart Pro

Laatst gewijzigd

11/09/2024

Kadastrale kaart met maatvoering 59,95
Kadastrale kaart pakket 28,95

Percelen

Gebruik de zoekbalk of klik op een perceel om informatie over het perceel te bekijken.
Locatie
Meten
Lagen
Download