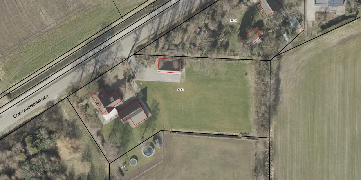
Perceel: OTH02-C-4142

Adres bij perceel

Perceeloppervlakte & perceelomtrek

4.484 m2 - 301 m

Eigenaar van het perceel

Eigenaar opvragen

Kadastrale aanduiding

OTH02-C-4142 (Oosterhesselen)

Postcode in perceel

    7917 PP

Type eigenaar

ZQj2 eqHWhq0Vp zWUWZDKUpgrade naar KadastraleKaart Pro

Google Street View

Bekijk op Street View

Download

Download DWG/DXF/Excel

Gerelateerde percelen

pTRH1L2Cq3chDMtUUpgrade naar KadastraleKaart Pro

Bebouwd/onbebouwd/water/groen

IQJ4v70drK41GS9gUpgrade naar KadastraleKaart Pro
Administratieve eenheden
Bi bCxfvgj dy9R5loUpgrade naar KadastraleKaart Pro

Appartementsrechten

e HFHWuU3RUUpgrade naar KadastraleKaart Pro

Vergunningverlenende instanties

J38IjtWe8DED5Upgrade naar KadastraleKaart Pro

Bedekking (BGT)

BI5rmhxalqxXUpgrade naar KadastraleKaart Pro

Publiekrechtelijke beperkingen

E1S OyMUpgrade naar KadastraleKaart Pro

Grensnauwkeurigheid

Xto JrFUpgrade naar KadastraleKaart Pro

Coördinaten hoekpunten perceel

FXAq4R 7pZZ3fJ0sjUpgrade naar KadastraleKaart Pro

Hoogteligging

k xuZOo aRS2H8aFKQuglUpgrade naar KadastraleKaart Pro

Laatst gewijzigd

30/11/2009

Kadastrale kaart met maatvoering 59,95
Kadastrale kaart pakket 28,95

Percelen

Gebruik de zoekbalk of klik op een perceel om informatie over het perceel te bekijken.
Locatie
Meten
Lagen
Download