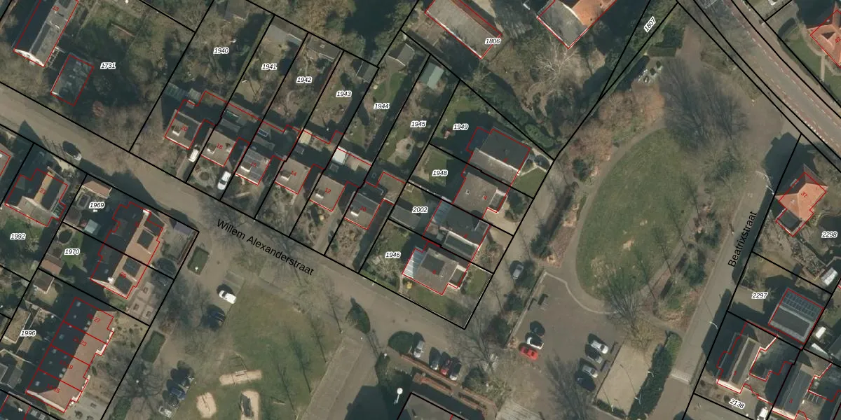
Perceel: OVA00-C-2002

Adres bij perceel

Perceeloppervlakte & perceelomtrek

287 m2 - 78 m

Eigenaar van het perceel

Eigenaar opvragen

Kadastrale aanduiding

OVA00-C-2002 (Overasselt)

Postcode in perceel

    6611 CE

Type eigenaar

RVnobLCA7m SkQEmDU L83RUokCUpgrade naar KadastraleKaart Pro

Google Street View

Bekijk op Street View

Download

Download DWG/DXF/Excel

Gerelateerde percelen

OkSOo GtKSCT ui3k6Upgrade naar KadastraleKaart Pro

Bebouwd/onbebouwd/water/groen

28hekjC8Upgrade naar KadastraleKaart Pro
Administratieve eenheden
sTj8Iq7BWhQ Upgrade naar KadastraleKaart Pro

Appartementsrechten

LohRH0Orxaa9QVhwNXa6TS Upgrade naar KadastraleKaart Pro

Vergunningverlenende instanties

kKY8TgL3M0yI1NRac q1Upgrade naar KadastraleKaart Pro

Bedekking (BGT)

eEI5L3Pup1Upgrade naar KadastraleKaart Pro

Publiekrechtelijke beperkingen

zoWoF JPdfjUpgrade naar KadastraleKaart Pro

Grensnauwkeurigheid

ldagCu4F7htN eDmwEflTDXUpgrade naar KadastraleKaart Pro

Coördinaten hoekpunten perceel

U WZ5lKrBSRF7JxBoFsb8YUpgrade naar KadastraleKaart Pro

Hoogteligging

k5HZRS z46Upgrade naar KadastraleKaart Pro

Laatst gewijzigd

30/10/2002

Kadastrale kaart met maatvoering 59,95
Kadastrale kaart pakket 28,95

Percelen

Gebruik de zoekbalk of klik op een perceel om informatie over het perceel te bekijken.
Locatie
Meten
Lagen
Download