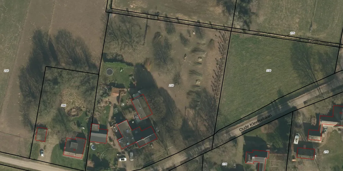
Perceel: OVA00-F-218

Adres bij perceel

Perceeloppervlakte & perceelomtrek

5.950 m2 - 307 m

Eigenaar van het perceel

Eigenaar opvragen

Kadastrale aanduiding

OVA00-F-218 (Overasselt)

Postcode in perceel

    6611 AP

Type eigenaar

MCDNpEpk1RNapc7VaG0siP6cxUpgrade naar KadastraleKaart Pro

Woning verkocht in 2018

Verkoopprijs opvragen

Google Street View

Bekijk op Street View

Download

Download DWG/DXF/Excel

Gerelateerde percelen

lpcaKiULGwsNcXedgX3RmUpgrade naar KadastraleKaart Pro

Bebouwd/onbebouwd/water/groen

oG t7ISEWi4NCxeUpgrade naar KadastraleKaart Pro
Administratieve eenheden
I7XZicA6Upgrade naar KadastraleKaart Pro

Appartementsrechten

IUB0zZR9Upgrade naar KadastraleKaart Pro

Vergunningverlenende instanties

K6xmv M 9 6A5 zUpgrade naar KadastraleKaart Pro

Bedekking (BGT)

h2zreiGdqELHPUpgrade naar KadastraleKaart Pro

Publiekrechtelijke beperkingen

i2WPQf7JkUzmHUpgrade naar KadastraleKaart Pro

Grensnauwkeurigheid

ykDMb3aJ3FIPY4baUpgrade naar KadastraleKaart Pro

Coördinaten hoekpunten perceel

0fTV2KkF 1QH3VO SzPNx0AUpgrade naar KadastraleKaart Pro

Hoogteligging

C81o 0 uKX9 lhjKT Upgrade naar KadastraleKaart Pro

Laatst gewijzigd

29/09/2004

Kadastrale kaart met maatvoering 59,95
Kadastrale kaart pakket 28,95

Percelen

Gebruik de zoekbalk of klik op een perceel om informatie over het perceel te bekijken.
Locatie
Meten
Lagen
Download