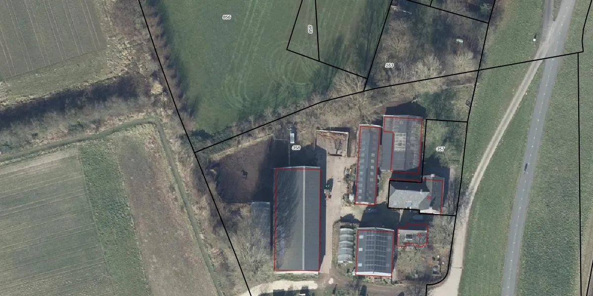
Perceel: RSN02-C-358

Adres bij perceel

Perceeloppervlakte & perceelomtrek

5.706 m2 - 372 m

Eigenaar van het perceel

Eigenaar opvragen

Kadastrale aanduiding

RSN02-C-358 (Ressen)

Postcode in perceel

    6681 KJ

Type eigenaar

uJXoB5Lir ouAFzVhca32S7xIOUpgrade naar KadastraleKaart Pro

Google Street View

Bekijk op Street View

Download

Download DWG/DXF/Excel

Gerelateerde percelen

7fIyldHXPRQsWYqX Upgrade naar KadastraleKaart Pro

Bebouwd/onbebouwd/water/groen

H7JhZc wiX5TBZUpgrade naar KadastraleKaart Pro
Administratieve eenheden
x et9wpRi8q jlbQUpgrade naar KadastraleKaart Pro

Appartementsrechten

lZK PTUYZnswTdz pLPx7hUpgrade naar KadastraleKaart Pro

Vergunningverlenende instanties

wrIbwvY eHzUpgrade naar KadastraleKaart Pro

Bedekking (BGT)

R6839cTpA kUpgrade naar KadastraleKaart Pro

Publiekrechtelijke beperkingen

R2k9e6R5o4 IUpgrade naar KadastraleKaart Pro

Grensnauwkeurigheid

gAKVmiDdz8QGhKVeUpgrade naar KadastraleKaart Pro

Coördinaten hoekpunten perceel

RIZnMQc1O4JrbuAk7 NvwUpgrade naar KadastraleKaart Pro

Hoogteligging

UtoryBCWxijFXzfSHX cgHPUpgrade naar KadastraleKaart Pro

Laatst gewijzigd

14/07/2025

Kadastrale kaart met maatvoering 59,95
Kadastrale kaart pakket 28,95

Percelen

Gebruik de zoekbalk of klik op een perceel om informatie over het perceel te bekijken.
Locatie
Meten
Lagen
Download