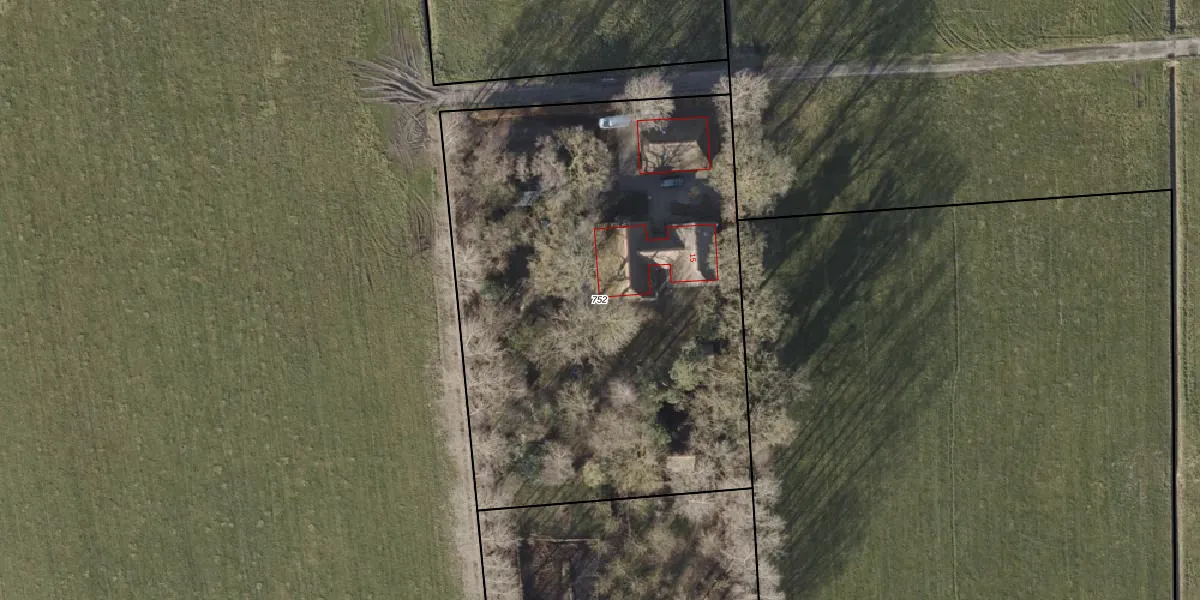
Perceel: SHT02-AR-752

Adres bij perceel

Perceeloppervlakte & perceelomtrek

3.116 m2 - 227 m

Eigenaar van het perceel

Eigenaar opvragen

Kadastrale aanduiding

SHT02-AR-752 (Staphorst)

Postcode in perceel

    7715 PK

Type eigenaar

cUU vzVdo3YR82slFcmAZlQVINUpgrade naar KadastraleKaart Pro

Woning verkocht in 2019

Verkoopprijs opvragen

Google Street View

Bekijk op Street View

Download

Download DWG/DXF/Excel

Gerelateerde percelen

4fK2z65x1R9emCXGFUpgrade naar KadastraleKaart Pro

Bebouwd/onbebouwd/water/groen

dmFYB02ePHkCrx9RWbyUpgrade naar KadastraleKaart Pro
Administratieve eenheden
JgbdvaWuZxmJlypUpgrade naar KadastraleKaart Pro

Appartementsrechten

anXJ T7sYoDAgUpgrade naar KadastraleKaart Pro

Vergunningverlenende instanties

CDufhbv6cs2q760ovkUpgrade naar KadastraleKaart Pro

Bedekking (BGT)

YK6g d8otr Upgrade naar KadastraleKaart Pro

Publiekrechtelijke beperkingen

E4tGKhBQsVPUpgrade naar KadastraleKaart Pro

Grensnauwkeurigheid

IOHCv uHIAoUpgrade naar KadastraleKaart Pro

Coördinaten hoekpunten perceel

qFQJjrUkiR28LxYUpgrade naar KadastraleKaart Pro

Hoogteligging

fM hy3Z v7K0B rU41Rw0Upgrade naar KadastraleKaart Pro

Laatst gewijzigd

30/01/2021

Kadastrale kaart met maatvoering 59,95
Kadastrale kaart pakket 28,95

Percelen

Gebruik de zoekbalk of klik op een perceel om informatie over het perceel te bekijken.
Locatie
Meten
Lagen
Download