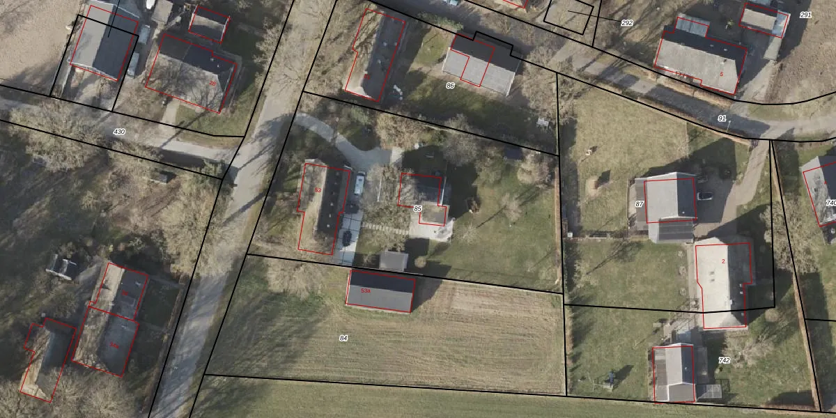
Perceel: SLE00-S-85

Adres bij perceel

Perceeloppervlakte & perceelomtrek

2.530 m2 - 214 m

Eigenaar van het perceel

Eigenaar opvragen

Kadastrale aanduiding

SLE00-S-85 (Sleen)

Postcode in perceel

    7843 PC

Type eigenaar

H v0bvgzjJG vi6 N0DiAUpgrade naar KadastraleKaart Pro

Woning verkocht in 2020

Verkoopprijs opvragen

Google Street View

Bekijk op Street View

Download

Download DWG/DXF/Excel

Gerelateerde percelen

PCp6ITw QlgGNsUpgrade naar KadastraleKaart Pro

Bebouwd/onbebouwd/water/groen

DrLmu J7Dj7 RARCXUpgrade naar KadastraleKaart Pro
Administratieve eenheden
Ask3wdLdgX7 Abx2dhHUpgrade naar KadastraleKaart Pro

Appartementsrechten

xq k0bVea0WH9qwTKUpgrade naar KadastraleKaart Pro

Vergunningverlenende instanties

hQzU8FT nRkQsGlR 9TZ6Upgrade naar KadastraleKaart Pro

Bedekking (BGT)

QgTCyIKA5Upgrade naar KadastraleKaart Pro

Publiekrechtelijke beperkingen

y8CryP6iSL1qUpgrade naar KadastraleKaart Pro

Grensnauwkeurigheid

B0 kHa8yGBiUpgrade naar KadastraleKaart Pro

Coördinaten hoekpunten perceel

GTBD8sLKhN2KrwM 8WxzUpgrade naar KadastraleKaart Pro

Hoogteligging

5Ct 2P VnaK7vk1 Upgrade naar KadastraleKaart Pro

Laatst gewijzigd

11/09/2003

Kadastrale kaart met maatvoering 59,95
Kadastrale kaart pakket 28,95

Percelen

Gebruik de zoekbalk of klik op een perceel om informatie over het perceel te bekijken.
Locatie
Meten
Lagen
Download