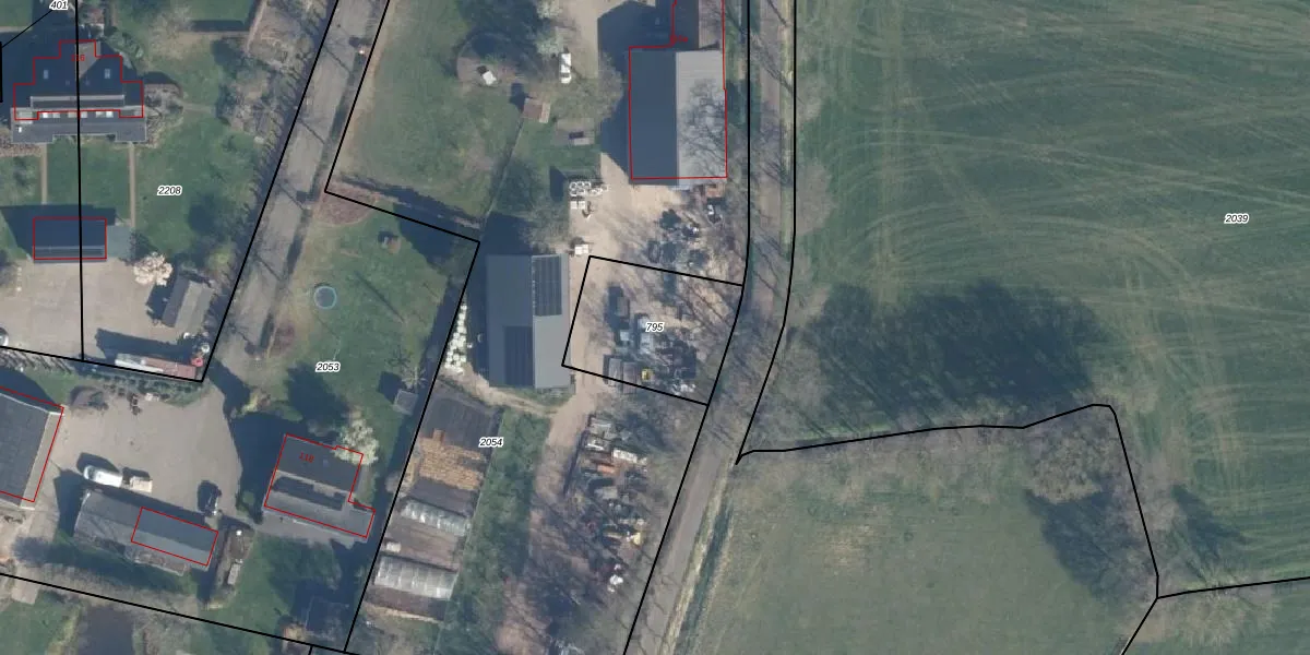
Perceel: STB00-C-795

Adres bij perceel

Geen adressen bij dit perceel

Perceeloppervlakte & perceelomtrek

452 m2 - 83 m

Eigenaar van het perceel

Eigenaar opvragen

Kadastrale aanduiding

STB00-C-795 (Stoutenburg)

Postcode in perceel

    Geen postcode aanwezig

Type eigenaar

wEPwiO Q5astM 0tiefpfUpgrade naar KadastraleKaart Pro

Google Street View

Bekijk op Street View

Download

Download DWG/DXF/Excel

Gerelateerde percelen

Ax70uBZ f4Upgrade naar KadastraleKaart Pro

Bebouwd/onbebouwd/water/groen

0LH6NdZHQAL6kwEFUpgrade naar KadastraleKaart Pro
Administratieve eenheden
H Z7 neCwojr2N lUpgrade naar KadastraleKaart Pro

Appartementsrechten

qrVtZvPUUpgrade naar KadastraleKaart Pro

Vergunningverlenende instanties

e3tjt5O LUpgrade naar KadastraleKaart Pro

Bedekking (BGT)

JXhQnlq pxaML8oOy KZUpgrade naar KadastraleKaart Pro

Publiekrechtelijke beperkingen

Mmnaxcd XkVRlGH8Upgrade naar KadastraleKaart Pro

Grensnauwkeurigheid

lL2IMOjt HzyHUpgrade naar KadastraleKaart Pro

Coördinaten hoekpunten perceel

rFUM8Vziihzk274IyrOsDjaUpgrade naar KadastraleKaart Pro

Hoogteligging

JTqFTTewe6 7e qIT9XANrUpgrade naar KadastraleKaart Pro

Laatst gewijzigd

19/09/1997

Kadastrale kaart met maatvoering 59,95
Kadastrale kaart pakket 28,95

Percelen

Gebruik de zoekbalk of klik op een perceel om informatie over het perceel te bekijken.
Locatie
Meten
Lagen
Download