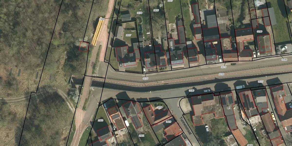
Perceel: STR01-B-3175

Adres bij perceel

Geen adressen bij dit perceel

Perceeloppervlakte & perceelomtrek

10 m2 - 22 m

Eigenaar van het perceel

Eigenaar opvragen

Kadastrale aanduiding

STR01-B-3175 (Susteren)

Postcode in perceel

    Geen postcode aanwezig

Type eigenaar

ZIMDV fIdADpg5A Upgrade naar KadastraleKaart Pro

Google Street View

Bekijk op Street View

Download

Download DWG/DXF/Excel

Gerelateerde percelen

CR2u6HHgUpgrade naar KadastraleKaart Pro

Bebouwd/onbebouwd/water/groen

MfN91NNWyiide5gEwk7BHUpgrade naar KadastraleKaart Pro
Administratieve eenheden
ICFYJBLi41yjV1SUpgrade naar KadastraleKaart Pro

Appartementsrechten

SBVhekE4QKW8x aG0Upgrade naar KadastraleKaart Pro

Vergunningverlenende instanties

LA96oFOjvDg NBcW71Upgrade naar KadastraleKaart Pro

Bedekking (BGT)

EEV RJSVtUpgrade naar KadastraleKaart Pro

Publiekrechtelijke beperkingen

pNQe3JU4Upgrade naar KadastraleKaart Pro

Grensnauwkeurigheid

UNsMZ Gh5Zbp pc4 eDS Upgrade naar KadastraleKaart Pro

Coördinaten hoekpunten perceel

FEWGW064Upgrade naar KadastraleKaart Pro

Hoogteligging

B9soJ7Rm2A 5k8voadazUpgrade naar KadastraleKaart Pro

Laatst gewijzigd

14/01/1998

Kadastrale kaart met maatvoering 59,95
Kadastrale kaart pakket 28,95

Percelen

Gebruik de zoekbalk of klik op een perceel om informatie over het perceel te bekijken.
Locatie
Meten
Lagen
Download