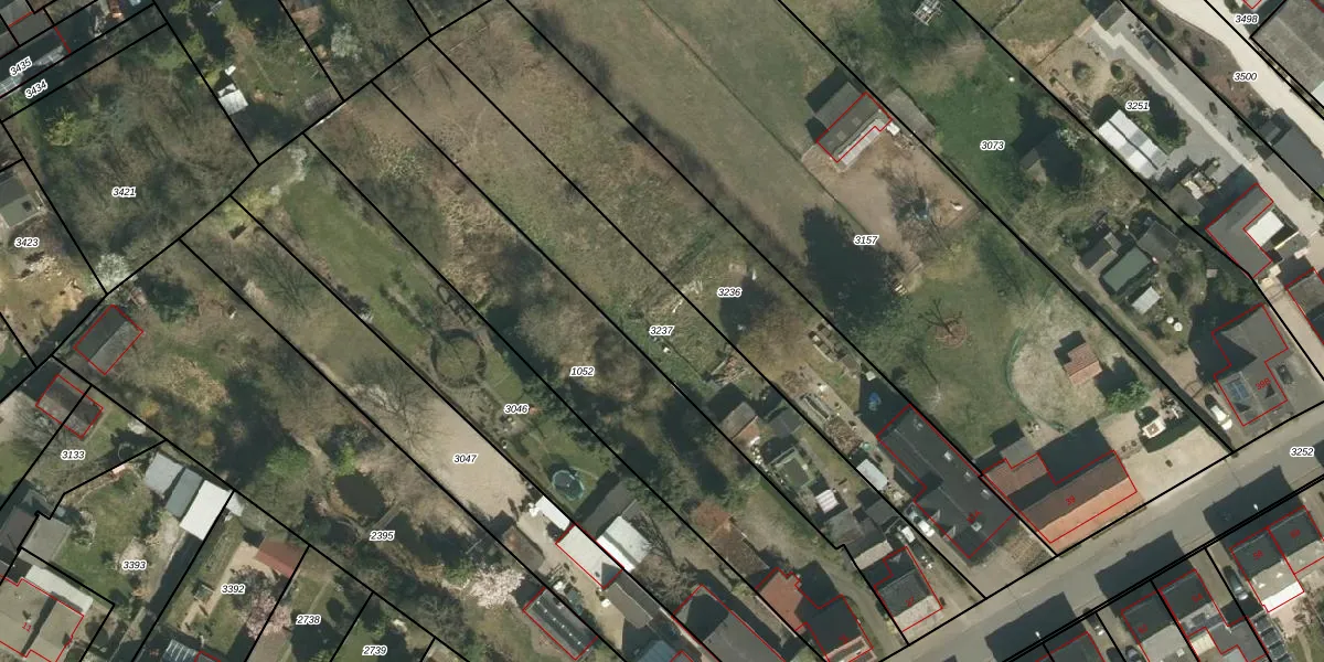
Perceel: STR01-B-3237

Adres bij perceel

Perceeloppervlakte & perceelomtrek

1.280 m2 - 263 m

Eigenaar van het perceel

Eigenaar opvragen

Kadastrale aanduiding

STR01-B-3237 (Susteren)

Postcode in perceel

    6114 AJ

Type eigenaar

Tce4nR yKH3wxYGrYjSEriaUpgrade naar KadastraleKaart Pro

Google Street View

Bekijk op Street View

Download

Download DWG/DXF/Excel

Gerelateerde percelen

U3Xs59 cx1R7Upgrade naar KadastraleKaart Pro

Bebouwd/onbebouwd/water/groen

j6EX6ybJ3 VzhgXZ8b1 DgbUpgrade naar KadastraleKaart Pro
Administratieve eenheden
ty Bt z ihgmOaUb4 V7Upgrade naar KadastraleKaart Pro

Appartementsrechten

RaF4ZGCMergnUpgrade naar KadastraleKaart Pro

Vergunningverlenende instanties

VyES8rr3FnltR3vGsUpgrade naar KadastraleKaart Pro

Bedekking (BGT)

iKSBhvOsPHrnfzw Upgrade naar KadastraleKaart Pro

Publiekrechtelijke beperkingen

XgUT2asddXN8JL1mYR1dUpgrade naar KadastraleKaart Pro

Grensnauwkeurigheid

MevlrWZbW3mAUpgrade naar KadastraleKaart Pro

Coördinaten hoekpunten perceel

wMY2U qaxjz94ZUpgrade naar KadastraleKaart Pro

Hoogteligging

Ub M eX5Y1zi TWUB L8uCUpgrade naar KadastraleKaart Pro

Laatst gewijzigd

24/10/2011

Kadastrale kaart met maatvoering 59,95
Kadastrale kaart pakket 28,95

Percelen

Gebruik de zoekbalk of klik op een perceel om informatie over het perceel te bekijken.
Locatie
Meten
Lagen
Download