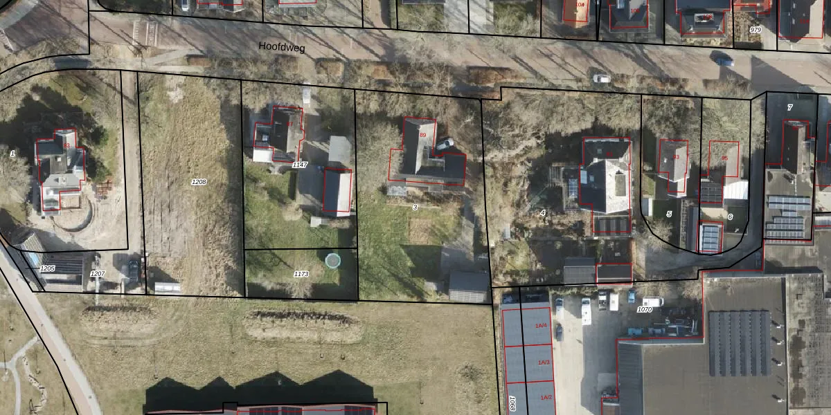
Perceel: STR02-N-3

Adres bij perceel

Perceeloppervlakte & perceelomtrek

1.569 m2 - 163 m

Eigenaar van het perceel

Eigenaar opvragen

Kadastrale aanduiding

STR02-N-3 (Slochteren)

Postcode in perceel

    9628 CL

Type eigenaar

iFWf5u8V0oNthKdXGT4WUpgrade naar KadastraleKaart Pro

Woning verkocht in 2002

Verkoopprijs opvragen

Google Street View

Bekijk op Street View

Download

Download DWG/DXF/Excel

Gerelateerde percelen

8ecptvW QjvUpgrade naar KadastraleKaart Pro

Bebouwd/onbebouwd/water/groen

RSIVyz2n LaVVSeoRqoUpgrade naar KadastraleKaart Pro
Administratieve eenheden
gDRIcjCrRnGUpgrade naar KadastraleKaart Pro

Appartementsrechten

AI T4R FyRaK ipr JUpgrade naar KadastraleKaart Pro

Vergunningverlenende instanties

IMCH0V8tZhO0C44YUpgrade naar KadastraleKaart Pro

Bedekking (BGT)

qgK2NciUpgrade naar KadastraleKaart Pro

Publiekrechtelijke beperkingen

qHBdS6klbG2vMy qlhiUpgrade naar KadastraleKaart Pro

Grensnauwkeurigheid

98lRdH 65EayUpgrade naar KadastraleKaart Pro

Coördinaten hoekpunten perceel

j5ApvLPk6Upgrade naar KadastraleKaart Pro

Hoogteligging

gTk3nik gAmTP5mV zV Upgrade naar KadastraleKaart Pro

Laatst gewijzigd

09/10/2018

Kadastrale kaart met maatvoering 59,95
Kadastrale kaart pakket 28,95

Percelen

Gebruik de zoekbalk of klik op een perceel om informatie over het perceel te bekijken.
Locatie
Meten
Lagen
Download