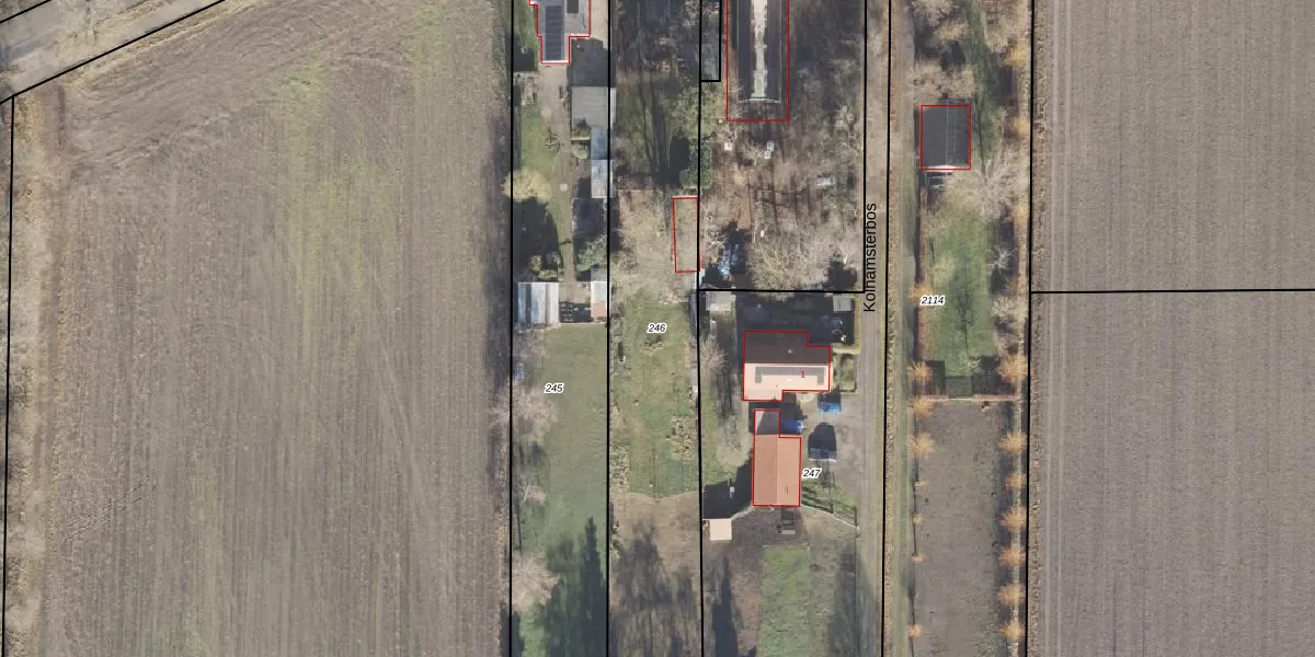
Perceel: STR02-U-246

Adres bij perceel

Perceeloppervlakte & perceelomtrek

2.309 m2 - 359 m

Eigenaar van het perceel

Eigenaar opvragen

Kadastrale aanduiding

STR02-U-246 (Slochteren)

Postcode in perceel

    9615 AE

Type eigenaar

u 8HW fIYqMsHXdRIPLS JMrhWtU6Upgrade naar KadastraleKaart Pro

Woning verkocht in 2024

Verkoopprijs opvragen

Google Street View

Bekijk op Street View

Download

Download DWG/DXF/Excel

Gerelateerde percelen

26NI3QNX9eZLo7jMWUpgrade naar KadastraleKaart Pro

Bebouwd/onbebouwd/water/groen

BxtHjNW mq88iMqpsCUpgrade naar KadastraleKaart Pro
Administratieve eenheden
kB4RJ5 NQUpgrade naar KadastraleKaart Pro

Appartementsrechten

4LKc CyKrUpgrade naar KadastraleKaart Pro

Vergunningverlenende instanties

EPrmwNoUeXStpo4vV sP6E9Upgrade naar KadastraleKaart Pro

Bedekking (BGT)

lhIK1sf 35srEXo4TBUpgrade naar KadastraleKaart Pro

Publiekrechtelijke beperkingen

j PkPhXSiA1IKyLQBUpgrade naar KadastraleKaart Pro

Grensnauwkeurigheid

I PqKnohACHQUpgrade naar KadastraleKaart Pro

Coördinaten hoekpunten perceel

lnHGsJyUpgrade naar KadastraleKaart Pro

Hoogteligging

HmQZY9 Wwixo7Upgrade naar KadastraleKaart Pro

Laatst gewijzigd

22/06/2018

Kadastrale kaart met maatvoering 59,95
Kadastrale kaart pakket 28,95

Percelen

Gebruik de zoekbalk of klik op een perceel om informatie over het perceel te bekijken.
Locatie
Meten
Lagen
Download