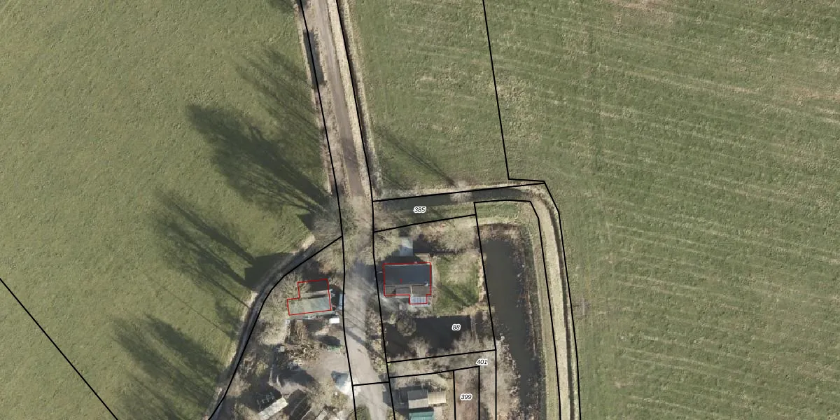
Perceel: STR02-W-385

Adres bij perceel

Geen adressen bij dit perceel

Perceeloppervlakte & perceelomtrek

1.645 m2 - 623 m

Eigenaar van het perceel

Eigenaar opvragen

Kadastrale aanduiding

STR02-W-385 (Slochteren)

Postcode in perceel

    Geen postcode aanwezig

Type eigenaar

OWakC3jMTdPuiHwA8NnSXdzw7Upgrade naar KadastraleKaart Pro

Google Street View

Bekijk op Street View

Download

Download DWG/DXF/Excel

Gerelateerde percelen

NpPZsJulPj73txfNYDmbTUpgrade naar KadastraleKaart Pro

Bebouwd/onbebouwd/water/groen

AdTnjn05P Wo9qh3D2Upgrade naar KadastraleKaart Pro
Administratieve eenheden
8ikWbS2k 04dB9vWFnUpgrade naar KadastraleKaart Pro

Appartementsrechten

VEhgsgsD5rpUpgrade naar KadastraleKaart Pro

Vergunningverlenende instanties

bhjHri8Af Upgrade naar KadastraleKaart Pro

Bedekking (BGT)

iwxhci qzjCRCCkPa iKnUpgrade naar KadastraleKaart Pro

Publiekrechtelijke beperkingen

Q7K4B98H1nf1jUpgrade naar KadastraleKaart Pro

Grensnauwkeurigheid

U sjVD GZUpgrade naar KadastraleKaart Pro

Coördinaten hoekpunten perceel

NnFnpZ088F metX0rjUpgrade naar KadastraleKaart Pro

Hoogteligging

WDiPvQIJ8EBQ2diVn9HUpgrade naar KadastraleKaart Pro

Laatst gewijzigd

24/12/2015

Kadastrale kaart met maatvoering 59,95
Kadastrale kaart pakket 28,95

Percelen

Gebruik de zoekbalk of klik op een perceel om informatie over het perceel te bekijken.
Locatie
Meten
Lagen
Download