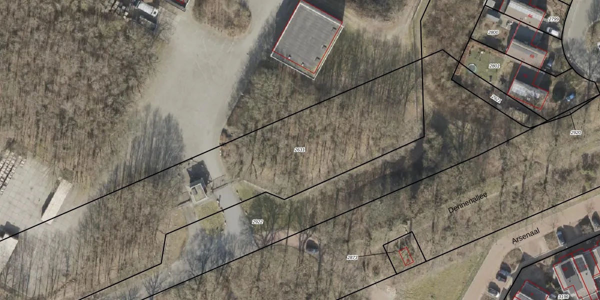
Perceel: SWK01-C-2631

Adres bij perceel

Geen adressen bij dit perceel

Perceeloppervlakte & perceelomtrek

4.065 m2 - 397 m

Eigenaar van het perceel

Eigenaar opvragen

Kadastrale aanduiding

SWK01-C-2631 (Steenwijk)

Postcode in perceel

    Geen postcode aanwezig

Type eigenaar

Mrph8vYu0yiNj XYfUpgrade naar KadastraleKaart Pro

Google Street View

Bekijk op Street View

Download

Download DWG/DXF/Excel

Gerelateerde percelen

S OaEzntTJcUpgrade naar KadastraleKaart Pro

Bebouwd/onbebouwd/water/groen

QBP93 vuIUpgrade naar KadastraleKaart Pro
Administratieve eenheden
CkxRZt VGqUpgrade naar KadastraleKaart Pro

Appartementsrechten

lC39oI8xziB2wYfvtGtUpgrade naar KadastraleKaart Pro

Vergunningverlenende instanties

j88UPK 0OUpgrade naar KadastraleKaart Pro

Bedekking (BGT)

TTF4zCg RyNTlMp2zNUpgrade naar KadastraleKaart Pro

Publiekrechtelijke beperkingen

Fs8YNzqeiUpgrade naar KadastraleKaart Pro

Grensnauwkeurigheid

iUSCq HfBxVaUpgrade naar KadastraleKaart Pro

Coördinaten hoekpunten perceel

lA8ImcpE7TnxKm SwUpgrade naar KadastraleKaart Pro

Hoogteligging

GVN1NlIG7tcHvjGBa P SUpgrade naar KadastraleKaart Pro

Laatst gewijzigd

17/12/2003

Kadastrale kaart met maatvoering 59,95
Kadastrale kaart pakket 28,95

Percelen

Gebruik de zoekbalk of klik op een perceel om informatie over het perceel te bekijken.
Locatie
Meten
Lagen
Download