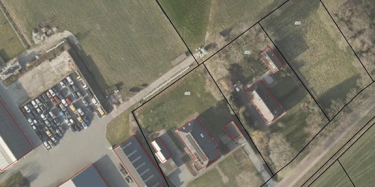
Perceel: SWK01-H-102

Adres bij perceel

Perceeloppervlakte & perceelomtrek

3.770 m2 - 251 m

Eigenaar van het perceel

Eigenaar opvragen

Kadastrale aanduiding

SWK01-H-102 (Steenwijk)

Postcode in perceel

    8345 HB

Type eigenaar

wK7S6 HuZN42oQJk qzyo73UJVOhmNgUpgrade naar KadastraleKaart Pro

Woning verkocht in 2016

Verkoopprijs opvragen

Google Street View

Bekijk op Street View

Download

Download DWG/DXF/Excel

Gerelateerde percelen

x4KBL3FSuEGGcu ljflcUpgrade naar KadastraleKaart Pro

Bebouwd/onbebouwd/water/groen

0wGsaq nUpgrade naar KadastraleKaart Pro
Administratieve eenheden
Mw FsgYqEu bZASQJ6LF wmUpgrade naar KadastraleKaart Pro

Appartementsrechten

DDi2h7AmZ5 qg1Um6Ep9qUpgrade naar KadastraleKaart Pro

Vergunningverlenende instanties

XxIn 5qQUpgrade naar KadastraleKaart Pro

Bedekking (BGT)

zZ MFVDL8YYySp7i7Upgrade naar KadastraleKaart Pro

Publiekrechtelijke beperkingen

NwRFXZcRRVslm8e3uUpgrade naar KadastraleKaart Pro

Grensnauwkeurigheid

j5r gnzqLj 6p4yU ZUpgrade naar KadastraleKaart Pro

Coördinaten hoekpunten perceel

u pheDVTpwmtmUpgrade naar KadastraleKaart Pro

Hoogteligging

9SsGNinVC6i4LUpgrade naar KadastraleKaart Pro

Laatst gewijzigd

29/10/2018

Kadastrale kaart met maatvoering 59,95
Kadastrale kaart pakket 28,95

Percelen

Gebruik de zoekbalk of klik op een perceel om informatie over het perceel te bekijken.
Locatie
Meten
Lagen
Download