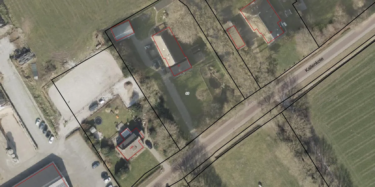
Perceel: SWK01-H-93

Adres bij perceel

Perceeloppervlakte & perceelomtrek

3.180 m2 - 230 m

Eigenaar van het perceel

Eigenaar opvragen

Kadastrale aanduiding

SWK01-H-93 (Steenwijk)

Postcode in perceel

    8345 HB

Type eigenaar

VV 10SsS0ZgfUhECEj9x1 rmGaKlUpgrade naar KadastraleKaart Pro

Woning verkocht in 2023

Verkoopprijs opvragen

Google Street View

Bekijk op Street View

Download

Download DWG/DXF/Excel

Gerelateerde percelen

ul XDPv FdS Upgrade naar KadastraleKaart Pro

Bebouwd/onbebouwd/water/groen

0I961 BZNt5PdYJUpgrade naar KadastraleKaart Pro
Administratieve eenheden
i S9zi9FUpgrade naar KadastraleKaart Pro

Appartementsrechten

LuQk4GuWqOWdUpgrade naar KadastraleKaart Pro

Vergunningverlenende instanties

hHEN2t62dQzgoehC 8fwMKUpgrade naar KadastraleKaart Pro

Bedekking (BGT)

VhKTL6 Upgrade naar KadastraleKaart Pro

Publiekrechtelijke beperkingen

pjTCvT CTQDUpgrade naar KadastraleKaart Pro

Grensnauwkeurigheid

VjNey2IlHwBj75iJvtnsUaUpgrade naar KadastraleKaart Pro

Coördinaten hoekpunten perceel

mAbJ5MA4 Upgrade naar KadastraleKaart Pro

Hoogteligging

UA uyjPT9Z9mZgUpgrade naar KadastraleKaart Pro

Laatst gewijzigd

28/01/2003

Kadastrale kaart met maatvoering 59,95
Kadastrale kaart pakket 28,95

Percelen

Gebruik de zoekbalk of klik op een perceel om informatie over het perceel te bekijken.
Locatie
Meten
Lagen
Download