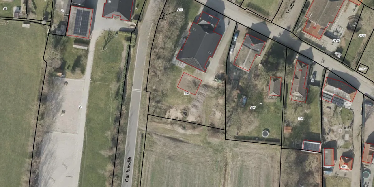
Perceel: SWK01-N-108

Perceeloppervlakte & perceelomtrek

2.603 m2 - 212 m

Eigenaar van het perceel

Eigenaar opvragen

Kadastrale aanduiding

SWK01-N-108 (Steenwijk)

Postcode in perceel

    8343 XL

Type eigenaar

zciOwcktpDts3Ypf41iASUpgrade naar KadastraleKaart Pro

Google Street View

Bekijk op Street View

Download

Download DWG/DXF/Excel

Gerelateerde percelen

WBo nANkVTiN6cUpgrade naar KadastraleKaart Pro

Bebouwd/onbebouwd/water/groen

zdCKHq unUpgrade naar KadastraleKaart Pro
Administratieve eenheden
JwMcRyN0TXx7TjJM9EDPCUpgrade naar KadastraleKaart Pro

Appartementsrechten

ELr8Uo RjmUpgrade naar KadastraleKaart Pro

Vergunningverlenende instanties

2SvaICc Upgrade naar KadastraleKaart Pro

Bedekking (BGT)

CKseu8xRWuHxP7WUpgrade naar KadastraleKaart Pro

Publiekrechtelijke beperkingen

dNTYeZ FmQLf JqdUpgrade naar KadastraleKaart Pro

Grensnauwkeurigheid

lIXYzaOMGQmPn7Yd9tUYUpgrade naar KadastraleKaart Pro

Coördinaten hoekpunten perceel

KWBso w4WUpgrade naar KadastraleKaart Pro

Hoogteligging

tOHubT9v Upgrade naar KadastraleKaart Pro

Laatst gewijzigd

07/02/2001

Kadastrale kaart met maatvoering 59,95
Kadastrale kaart pakket 28,95

Percelen

Gebruik de zoekbalk of klik op een perceel om informatie over het perceel te bekijken.
Locatie
Meten
Lagen
Download