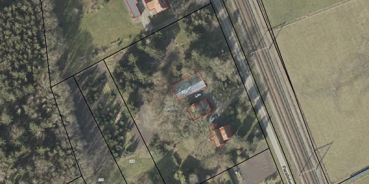
Perceel: SWK01-N-206

Adres bij perceel

Perceeloppervlakte & perceelomtrek

5.277 m2 - 294 m

Eigenaar van het perceel

Eigenaar opvragen

Kadastrale aanduiding

SWK01-N-206 (Steenwijk)

Postcode in perceel

    8344 XZ

Type eigenaar

Oili7tZR o8AV acUpgrade naar KadastraleKaart Pro

Google Street View

Bekijk op Street View

Download

Download DWG/DXF/Excel

Gerelateerde percelen

Fhm uCsdxbhvjkMUpgrade naar KadastraleKaart Pro

Bebouwd/onbebouwd/water/groen

zU4 kd4HRUpgrade naar KadastraleKaart Pro
Administratieve eenheden
UO30zr0n42 c2Upgrade naar KadastraleKaart Pro

Appartementsrechten

9xdvj WzIp6Upgrade naar KadastraleKaart Pro

Vergunningverlenende instanties

pSrmb xn4G8Upgrade naar KadastraleKaart Pro

Bedekking (BGT)

ObPNOaobOUpgrade naar KadastraleKaart Pro

Publiekrechtelijke beperkingen

Rw5m0k0aUpgrade naar KadastraleKaart Pro

Grensnauwkeurigheid

7rmAE wqEdB1cCXvFh1MvsUpgrade naar KadastraleKaart Pro

Coördinaten hoekpunten perceel

u GB4I uQHPEHcUpgrade naar KadastraleKaart Pro

Hoogteligging

RpsJ Kz32Upgrade naar KadastraleKaart Pro

Laatst gewijzigd

20/02/2001

Kadastrale kaart met maatvoering 59,95
Kadastrale kaart pakket 28,95

Percelen

Gebruik de zoekbalk of klik op een perceel om informatie over het perceel te bekijken.
Locatie
Meten
Lagen
Download