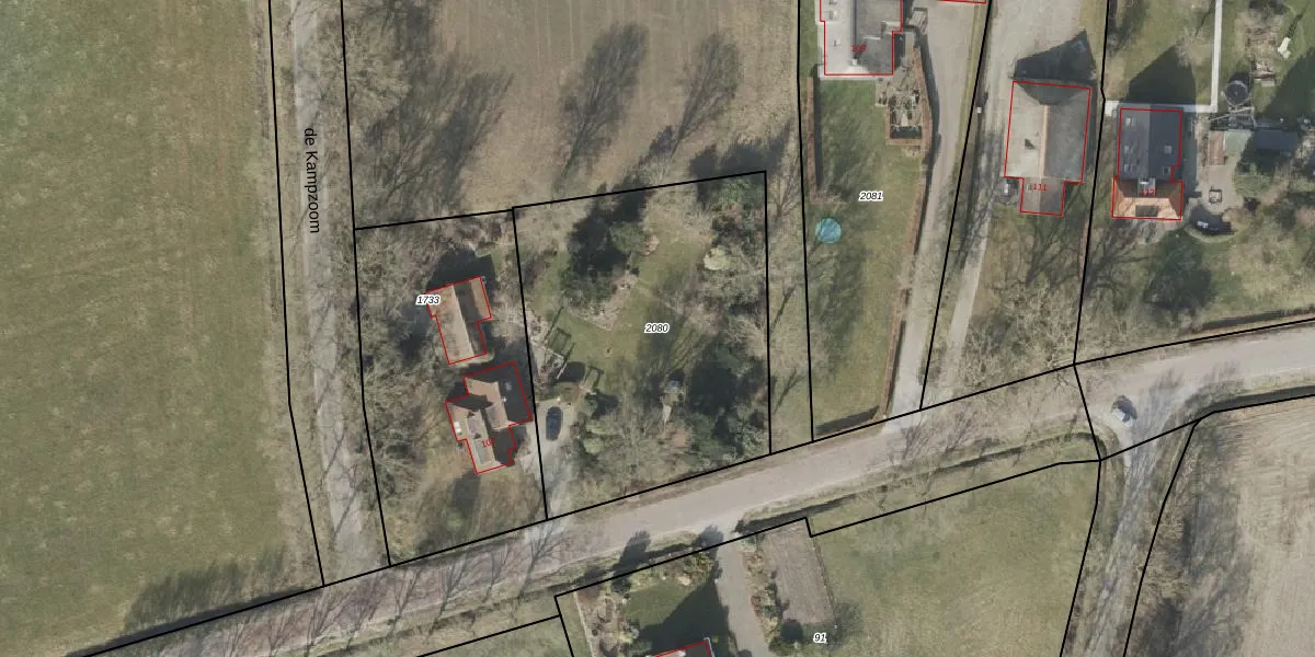
Perceel: SWK05-H-2080

Adres bij perceel

Geen adressen bij dit perceel

Perceeloppervlakte & perceelomtrek

1.650 m2 - 165 m

Eigenaar van het perceel

Eigenaar opvragen

Kadastrale aanduiding

SWK05-H-2080 (Steenwijkerwold)

Postcode in perceel

    Geen postcode aanwezig

Type eigenaar

Uc k5NxMJ86L7Pg avpr lY4HphriU Upgrade naar KadastraleKaart Pro

Google Street View

Bekijk op Street View

Download

Download DWG/DXF/Excel

Gerelateerde percelen

isgnXMOpUpgrade naar KadastraleKaart Pro

Bebouwd/onbebouwd/water/groen

AnP10fHK5KFUpgrade naar KadastraleKaart Pro
Administratieve eenheden
9dwbT1MBNhUpgrade naar KadastraleKaart Pro

Appartementsrechten

QZK7 4tQUpgrade naar KadastraleKaart Pro

Vergunningverlenende instanties

FqMGJiMp2 O 5dlUpgrade naar KadastraleKaart Pro

Bedekking (BGT)

y5 Rmx lPDtWKR Mp yCcEuUpgrade naar KadastraleKaart Pro

Publiekrechtelijke beperkingen

LDaxue6EYHyK Tm2hzYzfyUpgrade naar KadastraleKaart Pro

Grensnauwkeurigheid

6I EraTmaffbUpgrade naar KadastraleKaart Pro

Coördinaten hoekpunten perceel

NQIQ k2f9zUpgrade naar KadastraleKaart Pro

Hoogteligging

t9JDt8ZTobUpgrade naar KadastraleKaart Pro

Laatst gewijzigd

20/02/2001

Kadastrale kaart met maatvoering 59,95
Kadastrale kaart pakket 28,95

Percelen

Gebruik de zoekbalk of klik op een perceel om informatie over het perceel te bekijken.
Locatie
Meten
Lagen
Download