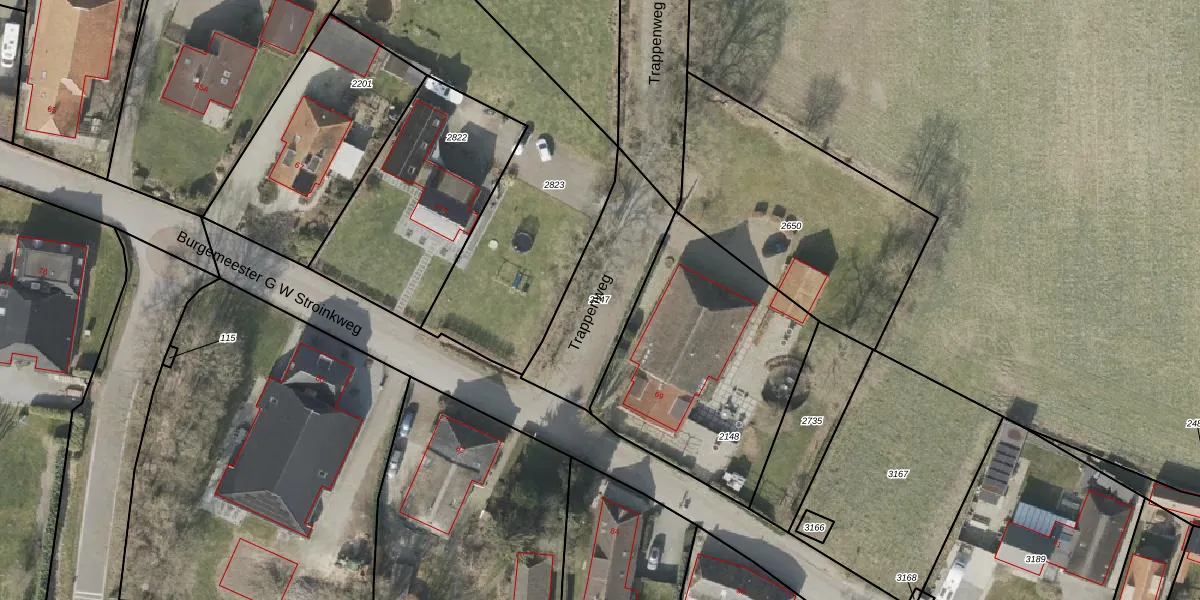
Perceel: SWK05-I-2147

Adres bij perceel

Geen adressen bij dit perceel

Perceeloppervlakte & perceelomtrek

460 m2 - 107 m

Eigenaar van het perceel

Eigenaar opvragen

Kadastrale aanduiding

SWK05-I-2147 (Steenwijkerwold)

Postcode in perceel

    Geen postcode aanwezig

Type eigenaar

Q7G hEMOh51Ya8rxzVUAEKWKK87evUpgrade naar KadastraleKaart Pro

Google Street View

Bekijk op Street View

Download

Download DWG/DXF/Excel

Gerelateerde percelen

fHWL 7NlUpgrade naar KadastraleKaart Pro

Bebouwd/onbebouwd/water/groen

LOwx6O1vTf1lcqUpgrade naar KadastraleKaart Pro
Administratieve eenheden
QCPz 0wDcs2KjM9UqUpgrade naar KadastraleKaart Pro

Appartementsrechten

ZlEMYnrrUpgrade naar KadastraleKaart Pro

Vergunningverlenende instanties

kJrveWQB4kgUpgrade naar KadastraleKaart Pro

Bedekking (BGT)

aArsq7RKVg6DUpgrade naar KadastraleKaart Pro

Publiekrechtelijke beperkingen

7OB XDOkeVT9QbOUpgrade naar KadastraleKaart Pro

Grensnauwkeurigheid

r4KZfzXIpUpgrade naar KadastraleKaart Pro

Coördinaten hoekpunten perceel

Rzta3C DUpgrade naar KadastraleKaart Pro

Hoogteligging

1j53 MhY8yT ZKUpgrade naar KadastraleKaart Pro

Laatst gewijzigd

01/04/2008

Kadastrale kaart met maatvoering 59,95
Kadastrale kaart pakket 28,95

Percelen

Gebruik de zoekbalk of klik op een perceel om informatie over het perceel te bekijken.
Locatie
Meten
Lagen
Download