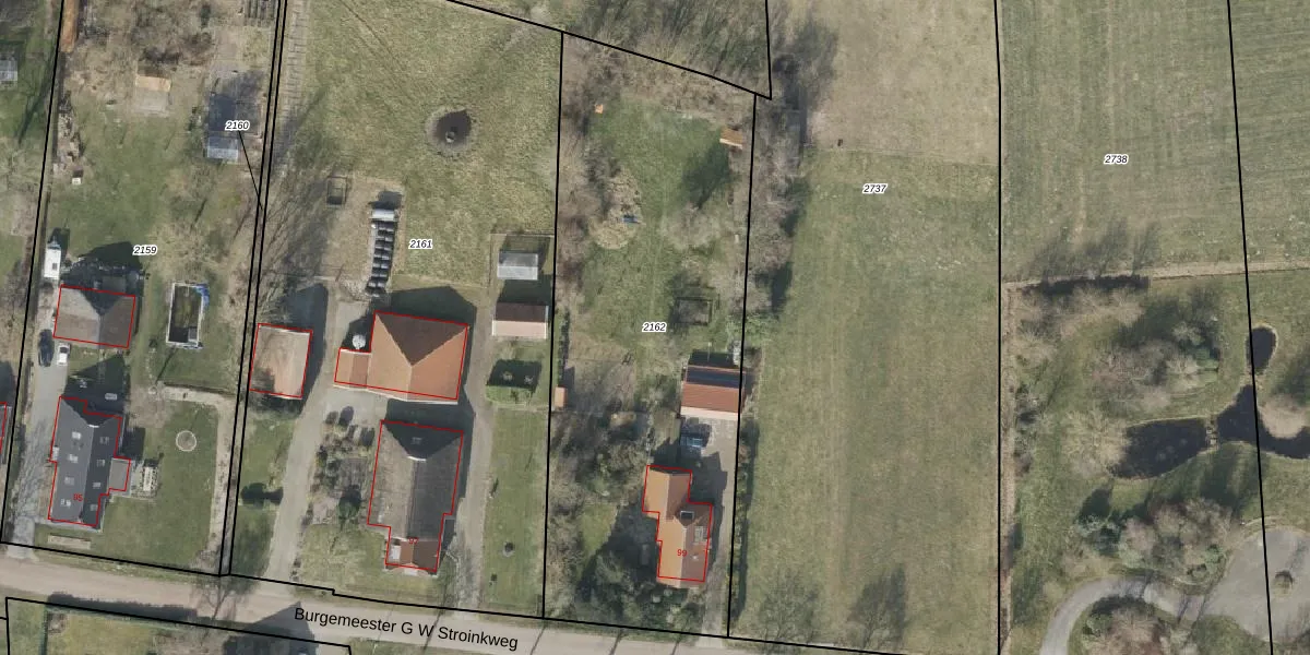
Perceel: SWK05-I-2162

Perceeloppervlakte & perceelomtrek

2.540 m2 - 232 m

Eigenaar van het perceel

Eigenaar opvragen

Kadastrale aanduiding

SWK05-I-2162 (Steenwijkerwold)

Postcode in perceel

    8343 XM

Type eigenaar

l8AdzwIkIWt 8kDhgn x 9RMTq8H71fUpgrade naar KadastraleKaart Pro

Google Street View

Bekijk op Street View

Download

Download DWG/DXF/Excel

Gerelateerde percelen

dRgko6Jh Upgrade naar KadastraleKaart Pro

Bebouwd/onbebouwd/water/groen

WbqXXc U XGEMCwUpgrade naar KadastraleKaart Pro
Administratieve eenheden
9l78ZFm fB Mr TaTUpgrade naar KadastraleKaart Pro

Appartementsrechten

CSXb NtBHVlCeIOkQZvapUpgrade naar KadastraleKaart Pro

Vergunningverlenende instanties

k7Xz8iPe dVFqUpgrade naar KadastraleKaart Pro

Bedekking (BGT)

yO9DFGvhzalcNHDyjQDUpgrade naar KadastraleKaart Pro

Publiekrechtelijke beperkingen

fRpKe kqw fwUpgrade naar KadastraleKaart Pro

Grensnauwkeurigheid

hn8VuITaA44U 20XDKTcUrUpgrade naar KadastraleKaart Pro

Coördinaten hoekpunten perceel

da799zZTHvLIB3Upgrade naar KadastraleKaart Pro

Hoogteligging

1xQc9sVLY9Upgrade naar KadastraleKaart Pro

Laatst gewijzigd

15/01/2002

Kadastrale kaart met maatvoering 59,95
Kadastrale kaart pakket 28,95

Percelen

Gebruik de zoekbalk of klik op een perceel om informatie over het perceel te bekijken.
Locatie
Meten
Lagen
Download