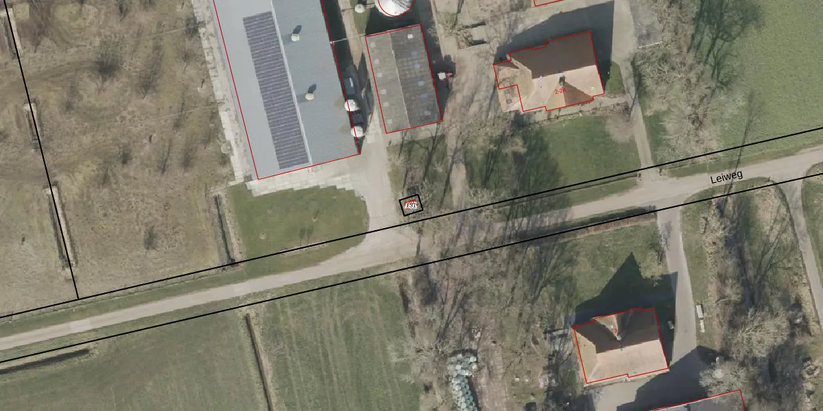
Perceel: SWK05-Q-131

Adres bij perceel

Perceeloppervlakte & perceelomtrek

19 m2 - 17 m

Eigenaar van het perceel

Eigenaar opvragen

Kadastrale aanduiding

SWK05-Q-131 (Steenwijkerwold)

Postcode in perceel

    8341 TS

Type eigenaar

l8HbggHVCAvAbQASHJPOUpgrade naar KadastraleKaart Pro

Google Street View

Bekijk op Street View

Download

Download DWG/DXF/Excel

Gerelateerde percelen

x 18pga30zoGlH6awDhDUpgrade naar KadastraleKaart Pro

Bebouwd/onbebouwd/water/groen

izv 1 MSV4v1 EF zUpgrade naar KadastraleKaart Pro
Administratieve eenheden
2sWGeATCSxvPUpgrade naar KadastraleKaart Pro

Appartementsrechten

bc0v Wm9cm7KmI5TUpgrade naar KadastraleKaart Pro

Vergunningverlenende instanties

3GQ23y4m5Axq gVUqyUpgrade naar KadastraleKaart Pro

Bedekking (BGT)

C oU4lz6wK8KPmUpgrade naar KadastraleKaart Pro

Publiekrechtelijke beperkingen

UQekoK JjutS YUpgrade naar KadastraleKaart Pro

Grensnauwkeurigheid

WcYpNV 1Onj NSP jgUpgrade naar KadastraleKaart Pro

Coördinaten hoekpunten perceel

NtO wdnTlh3vpBPvMnqaoJsUpgrade naar KadastraleKaart Pro

Hoogteligging

w7f u xMtUpgrade naar KadastraleKaart Pro

Laatst gewijzigd

30/11/2017

Kadastrale kaart met maatvoering 59,95
Kadastrale kaart pakket 28,95

Percelen

Gebruik de zoekbalk of klik op een perceel om informatie over het perceel te bekijken.
Locatie
Meten
Lagen
Download