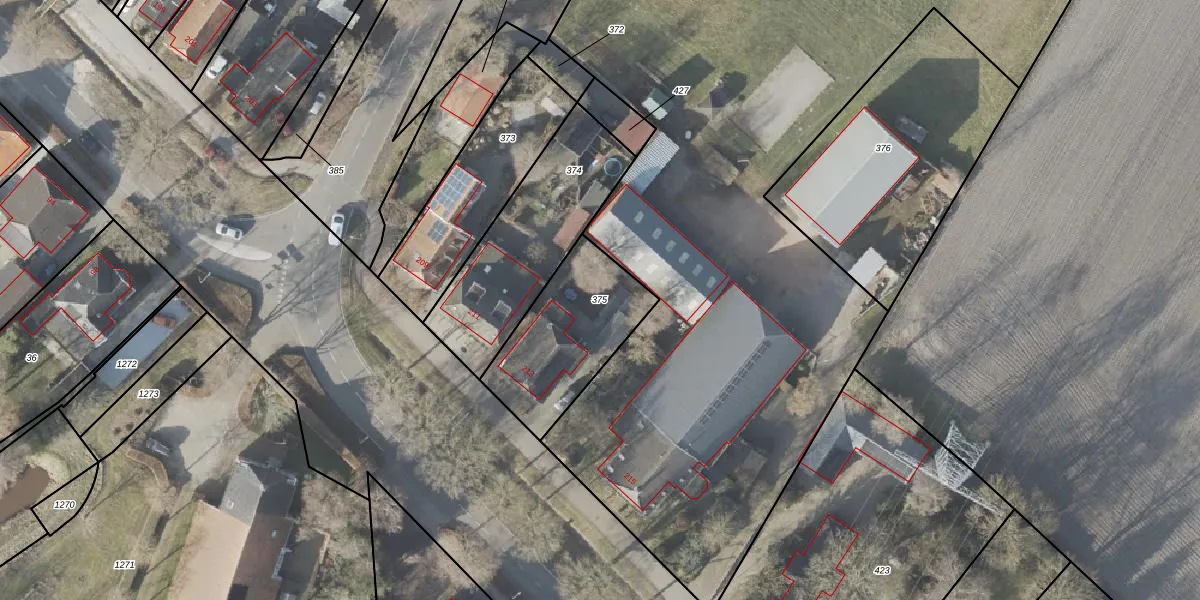
Perceel: VDM00-P-375

Adres bij perceel

Perceeloppervlakte & perceelomtrek

470 m2 - 92 m

Eigenaar van het perceel

Eigenaar opvragen

Kadastrale aanduiding

VDM00-P-375 (Veendam)

Postcode in perceel

    9644 TG

Type eigenaar

OGT4m R oATWyL8 8yUpgrade naar KadastraleKaart Pro

Google Street View

Bekijk op Street View

Download

Download DWG/DXF/Excel

Gerelateerde percelen

d4jFJ0 dgkZCa3V0bZjUpgrade naar KadastraleKaart Pro

Bebouwd/onbebouwd/water/groen

8zCHYh5C F FhUpgrade naar KadastraleKaart Pro
Administratieve eenheden
ivb7w nd6Htea0Upgrade naar KadastraleKaart Pro

Appartementsrechten

LGqVlDCKLcZ96B2MpQxtgUpgrade naar KadastraleKaart Pro

Vergunningverlenende instanties

TQ7SLqHnir Upgrade naar KadastraleKaart Pro

Bedekking (BGT)

5lygzztqen0TDUpgrade naar KadastraleKaart Pro

Publiekrechtelijke beperkingen

QeF0yOmAUpgrade naar KadastraleKaart Pro

Grensnauwkeurigheid

ZgGQb3xEU E2GQv WMUpgrade naar KadastraleKaart Pro

Coördinaten hoekpunten perceel

SWW3x4M0tSmehTtWS ByiaUpgrade naar KadastraleKaart Pro

Hoogteligging

ZBeBEHVTayM Jkg62Upgrade naar KadastraleKaart Pro

Laatst gewijzigd

08/06/2012

Kadastrale kaart met maatvoering 59,95
Kadastrale kaart pakket 28,95

Percelen

Gebruik de zoekbalk of klik op een perceel om informatie over het perceel te bekijken.
Locatie
Meten
Lagen
Download