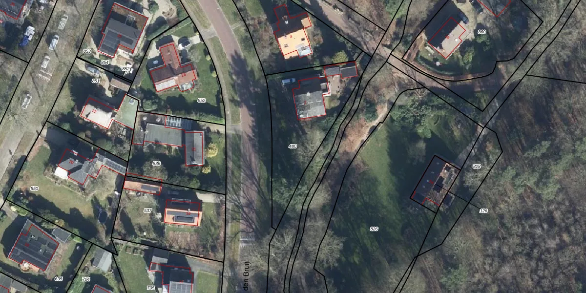
Perceel: VEL01-A-480

Adres bij perceel

Perceeloppervlakte & perceelomtrek

954 m2 - 160 m

Eigenaar van het perceel

Eigenaar opvragen

Kadastrale aanduiding

VEL01-A-480 (Velp Gelderland)

Postcode in perceel

    6881 AR

Type eigenaar

avCn8bawyMj0aa8MWq1MII12Bo72zUpgrade naar KadastraleKaart Pro

Woning verkocht in 2002

Verkoopprijs opvragen

Google Street View

Bekijk op Street View

Download

Download DWG/DXF/Excel

Gerelateerde percelen

v umN09KEtWuOOe YkUpgrade naar KadastraleKaart Pro

Bebouwd/onbebouwd/water/groen

b CYOgbRoLF3zUpgrade naar KadastraleKaart Pro
Administratieve eenheden
I1yLNCQz8dgvQ101Upgrade naar KadastraleKaart Pro

Appartementsrechten

QBAjq itUpgrade naar KadastraleKaart Pro

Vergunningverlenende instanties

pNUi G7et2Upgrade naar KadastraleKaart Pro

Bedekking (BGT)

FLVQgK u JLdwzQon1RqUpgrade naar KadastraleKaart Pro

Publiekrechtelijke beperkingen

jCWVguqD yZXWB5Upgrade naar KadastraleKaart Pro

Grensnauwkeurigheid

bLvDmb 5Upgrade naar KadastraleKaart Pro

Coördinaten hoekpunten perceel

fXeKBDHYYyJ1Upgrade naar KadastraleKaart Pro

Hoogteligging

lc8rwc6gU8hWUpgrade naar KadastraleKaart Pro

Laatst gewijzigd

30/06/2014

Kadastrale kaart met maatvoering 59,95
Kadastrale kaart pakket 28,95

Percelen

Gebruik de zoekbalk of klik op een perceel om informatie over het perceel te bekijken.
Locatie
Meten
Lagen
Download