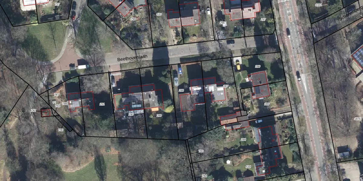
Perceel: VEL01-E-288

Adres bij perceel

Perceeloppervlakte & perceelomtrek

680 m2 - 115 m

Eigenaar van het perceel

Eigenaar opvragen

Kadastrale aanduiding

VEL01-E-288 (Velp Gelderland)

Postcode in perceel

    6881 PE

Type eigenaar

hTONmHHpBmh x eUpgrade naar KadastraleKaart Pro

Woning verkocht in 2021

Verkoopprijs opvragen

Google Street View

Bekijk op Street View

Download

Download DWG/DXF/Excel

Gerelateerde percelen

bwvcTP54UUpgrade naar KadastraleKaart Pro

Bebouwd/onbebouwd/water/groen

lhdimBlbZSUpgrade naar KadastraleKaart Pro
Administratieve eenheden
GluVc888 H5B zGk2Upgrade naar KadastraleKaart Pro

Appartementsrechten

9d4zW kQP cwTKJ2q5vUpgrade naar KadastraleKaart Pro

Vergunningverlenende instanties

NLdUCq1DeZegwXtuAVcYBfUpgrade naar KadastraleKaart Pro

Bedekking (BGT)

W4hCG0wnYmUpgrade naar KadastraleKaart Pro

Publiekrechtelijke beperkingen

IptusDHUPxKNuKhZ2 TVkUqUpgrade naar KadastraleKaart Pro

Grensnauwkeurigheid

g0Z5tM6GUpgrade naar KadastraleKaart Pro

Coördinaten hoekpunten perceel

j9iijiUlrsb3MUpgrade naar KadastraleKaart Pro

Hoogteligging

WC Z0S HB9l7 bG4Upgrade naar KadastraleKaart Pro

Laatst gewijzigd

31/07/2019

Kadastrale kaart met maatvoering 59,95
Kadastrale kaart pakket 28,95

Percelen

Gebruik de zoekbalk of klik op een perceel om informatie over het perceel te bekijken.
Locatie
Meten
Lagen
Download