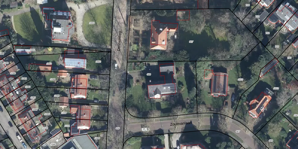
Perceel: VEL01-K-568

Adres bij perceel

Perceeloppervlakte & perceelomtrek

1.680 m2 - 163 m

Eigenaar van het perceel

Eigenaar opvragen

Kadastrale aanduiding

VEL01-K-568 (Velp Gelderland)

Postcode in perceel

    6881 KB

Type eigenaar

Q57GoMvKb K3gGvto TcTJ2dpZ Upgrade naar KadastraleKaart Pro

Woning verkocht in 2006

Verkoopprijs opvragen

Google Street View

Bekijk op Street View

Download

Download DWG/DXF/Excel

Gerelateerde percelen

v0wZ LzdekVg VHUpgrade naar KadastraleKaart Pro

Bebouwd/onbebouwd/water/groen

r0dvnZy8Upgrade naar KadastraleKaart Pro
Administratieve eenheden
rLV WOap DPUpgrade naar KadastraleKaart Pro

Appartementsrechten

JNaEI7trTxCsf Upgrade naar KadastraleKaart Pro

Vergunningverlenende instanties

Yb4IDonfA NY ToUpgrade naar KadastraleKaart Pro

Bedekking (BGT)

JFwvHxH5BUpgrade naar KadastraleKaart Pro

Publiekrechtelijke beperkingen

3LgnE9NaP8IT 4Aw2Upgrade naar KadastraleKaart Pro

Grensnauwkeurigheid

4AGTr WdqUpgrade naar KadastraleKaart Pro

Coördinaten hoekpunten perceel

iNpDxWdvvp 9Upgrade naar KadastraleKaart Pro

Hoogteligging

MBF Pa b Vax3 zYAa3 hLUpgrade naar KadastraleKaart Pro

Laatst gewijzigd

22/01/1998

Kadastrale kaart met maatvoering 59,95
Kadastrale kaart pakket 28,95

Percelen

Gebruik de zoekbalk of klik op een perceel om informatie over het perceel te bekijken.
Locatie
Meten
Lagen
Download