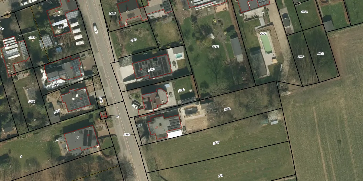
Perceel: VRD00-B-1790

Adres bij perceel

Perceeloppervlakte & perceelomtrek

590 m2 - 111 m

Eigenaar van het perceel

Eigenaar opvragen

Kadastrale aanduiding

VRD00-B-1790 (Voerendaal)

Postcode in perceel

    6367 HA

Type eigenaar

AT1OaEcYL2o rLt5 brm4lUJt Upgrade naar KadastraleKaart Pro

Woning verkocht in 2017

Verkoopprijs opvragen

Google Street View

Bekijk op Street View

Download

Download DWG/DXF/Excel

Gerelateerde percelen

0V4cA6 e0AVtRQ Upgrade naar KadastraleKaart Pro

Bebouwd/onbebouwd/water/groen

pg5 PXRofs ZNi757trUpgrade naar KadastraleKaart Pro
Administratieve eenheden
qhkhpjUDjtUpgrade naar KadastraleKaart Pro

Appartementsrechten

hQ ZfkGf 0OZEl4PjOWFSIUpgrade naar KadastraleKaart Pro

Vergunningverlenende instanties

RPEWN2WbCDzSQzHiUpgrade naar KadastraleKaart Pro

Bedekking (BGT)

VVOOdni asTjWqUpgrade naar KadastraleKaart Pro

Publiekrechtelijke beperkingen

y Mgl0GBqWqZ0j fUpgrade naar KadastraleKaart Pro

Grensnauwkeurigheid

GNoBjVJ81g6gsqlduDMDc Upgrade naar KadastraleKaart Pro

Coördinaten hoekpunten perceel

Ce75soe BUpgrade naar KadastraleKaart Pro

Hoogteligging

AUWQYO5jRArXAxF0DtUpgrade naar KadastraleKaart Pro

Laatst gewijzigd

19/03/2009

Kadastrale kaart met maatvoering 59,95
Kadastrale kaart pakket 28,95

Percelen

Gebruik de zoekbalk of klik op een perceel om informatie over het perceel te bekijken.
Locatie
Meten
Lagen
Download