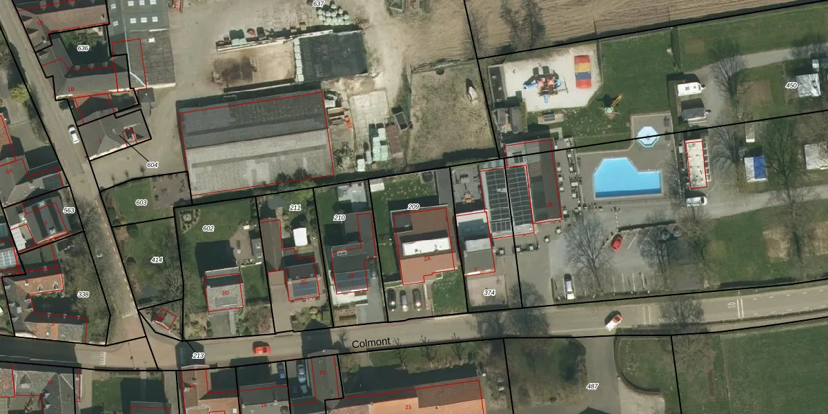
Perceel: VRD00-H-209

Adres bij perceel

Perceeloppervlakte & perceelomtrek

696 m2 - 110 m

Eigenaar van het perceel

Eigenaar opvragen

Kadastrale aanduiding

VRD00-H-209 (Voerendaal)

Postcode in perceel

    6367 HE

Type eigenaar

z8BYNn2wT 3v0Uq2IqUpgrade naar KadastraleKaart Pro

Woning verkocht in 2024

Verkoopprijs opvragen

Google Street View

Bekijk op Street View

Download

Download DWG/DXF/Excel

Gerelateerde percelen

wGwnkMcyzePO ngh8ZTp9GUpgrade naar KadastraleKaart Pro

Bebouwd/onbebouwd/water/groen

73yiBnbe 6iCJJYSJZUpgrade naar KadastraleKaart Pro
Administratieve eenheden
5amXqTKJ N3DhPply9jUpgrade naar KadastraleKaart Pro

Appartementsrechten

vm9XrdAesyYPW0Upgrade naar KadastraleKaart Pro

Vergunningverlenende instanties

84yVYgaUTGjUpgrade naar KadastraleKaart Pro

Bedekking (BGT)

lHeL61Ca BhGtktQIkal4uUpgrade naar KadastraleKaart Pro

Publiekrechtelijke beperkingen

5g2kKaw NeQRPUpgrade naar KadastraleKaart Pro

Grensnauwkeurigheid

ws9cs6kRByoPzUpgrade naar KadastraleKaart Pro

Coördinaten hoekpunten perceel

cZ53I4C4e KVvOLOysrUpgrade naar KadastraleKaart Pro

Hoogteligging

5bFYrAxr zgLwhLHyUpgrade naar KadastraleKaart Pro

Laatst gewijzigd

23/03/2009

Kadastrale kaart met maatvoering 59,95
Kadastrale kaart pakket 28,95

Percelen

Gebruik de zoekbalk of klik op een perceel om informatie over het perceel te bekijken.
Locatie
Meten
Lagen
Download