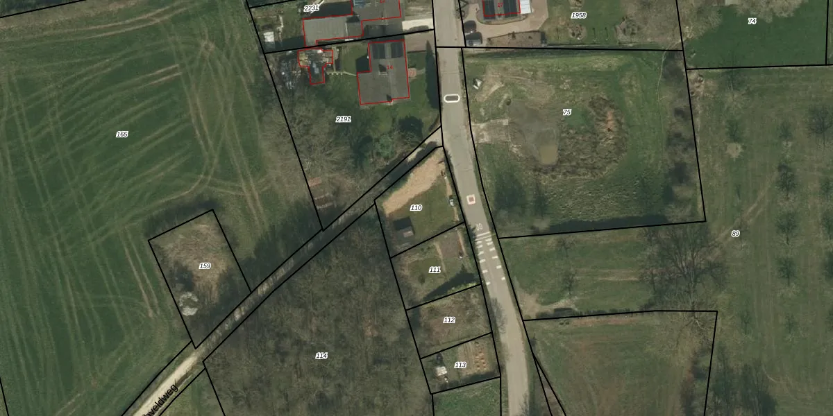
Perceel: VRD00-N-110

Adres bij perceel

Geen adressen bij dit perceel

Perceeloppervlakte & perceelomtrek

310 m2 - 75 m

Eigenaar van het perceel

Eigenaar opvragen

Kadastrale aanduiding

VRD00-N-110 (Voerendaal)

Postcode in perceel

    Geen postcode aanwezig

Type eigenaar

uIthLZxZ9ijmIQdP GHpUKmUpgrade naar KadastraleKaart Pro

Google Street View

Bekijk op Street View

Download

Download DWG/DXF/Excel

Gerelateerde percelen

555OHzu N XtZUpgrade naar KadastraleKaart Pro

Bebouwd/onbebouwd/water/groen

SMR dlOw9Upgrade naar KadastraleKaart Pro
Administratieve eenheden
MOHqlPZ9ewhuIfTDH0PIP5DUpgrade naar KadastraleKaart Pro

Appartementsrechten

2301C6cwDKYClUpgrade naar KadastraleKaart Pro

Vergunningverlenende instanties

NOkJ476s laOANagdUpgrade naar KadastraleKaart Pro

Bedekking (BGT)

Y6WI3SPTzOGczUpgrade naar KadastraleKaart Pro

Publiekrechtelijke beperkingen

2v CZWW4N9Upgrade naar KadastraleKaart Pro

Grensnauwkeurigheid

Pz0Fb2G3fM4XrFg3p6CUpgrade naar KadastraleKaart Pro

Coördinaten hoekpunten perceel

fEu9EMgG lf7wtTS0w7JOUpgrade naar KadastraleKaart Pro

Hoogteligging

z5fDvKerUpgrade naar KadastraleKaart Pro

Laatst gewijzigd

19/10/2009

Kadastrale kaart met maatvoering 59,95
Kadastrale kaart pakket 28,95

Percelen

Gebruik de zoekbalk of klik op een perceel om informatie over het perceel te bekijken.
Locatie
Meten
Lagen
Download