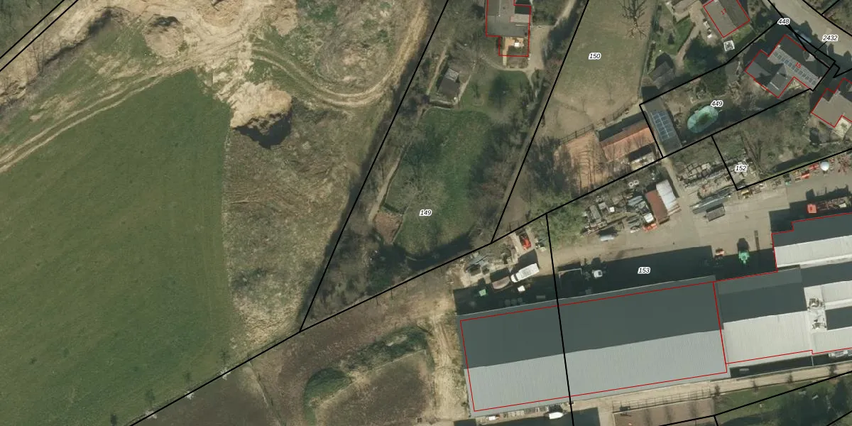
Perceel: VRD00-N-149

Adres bij perceel

Perceeloppervlakte & perceelomtrek

2.760 m2 - 271 m

Eigenaar van het perceel

Eigenaar opvragen

Kadastrale aanduiding

VRD00-N-149 (Voerendaal)

Postcode in perceel

    6343 RJ

Type eigenaar

Ia3JNcC R84 nL9yt vUg49X1Upgrade naar KadastraleKaart Pro

Google Street View

Bekijk op Street View

Download

Download DWG/DXF/Excel

Gerelateerde percelen

j qoyIomC7Upgrade naar KadastraleKaart Pro

Bebouwd/onbebouwd/water/groen

o7rT lLO2Upgrade naar KadastraleKaart Pro
Administratieve eenheden
eX XVtn6 zKlGByvtqp Upgrade naar KadastraleKaart Pro

Appartementsrechten

Mu YNn Ck0r3 Upgrade naar KadastraleKaart Pro

Vergunningverlenende instanties

B0xf948qoGBCFUpgrade naar KadastraleKaart Pro

Bedekking (BGT)

aNVcHirn7NeMBG6RO1YUUpgrade naar KadastraleKaart Pro

Publiekrechtelijke beperkingen

TbO 65o4 rwgv YCprclUpgrade naar KadastraleKaart Pro

Grensnauwkeurigheid

GW3 TlwYZ hIqBh5WUpgrade naar KadastraleKaart Pro

Coördinaten hoekpunten perceel

aEWcYS5Se 4CUpgrade naar KadastraleKaart Pro

Hoogteligging

dFts1n WCySZRF9qNxPtUpgrade naar KadastraleKaart Pro

Laatst gewijzigd

19/10/2009

Kadastrale kaart met maatvoering 59,95
Kadastrale kaart pakket 28,95

Percelen

Gebruik de zoekbalk of klik op een perceel om informatie over het perceel te bekijken.
Locatie
Meten
Lagen
Download