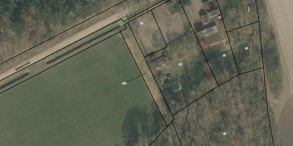
Perceel: VRY00-Z-550

Adres bij perceel

Geen adressen bij dit perceel

Perceeloppervlakte & perceelomtrek

495 m2 - 163 m

Eigenaar van het perceel

Eigenaar opvragen

Kadastrale aanduiding

VRY00-Z-550 (Venray)

Postcode in perceel

    Geen postcode aanwezig

Type eigenaar

DPnCcF LSAGXKjtNZREhjzscFKwsTXUpgrade naar KadastraleKaart Pro

Google Street View

Bekijk op Street View

Download

Download DWG/DXF/Excel

Gerelateerde percelen

KV8n 95tT2m7 Upgrade naar KadastraleKaart Pro

Bebouwd/onbebouwd/water/groen

3Iz3aXPposUzOUdU0A61YSUpgrade naar KadastraleKaart Pro
Administratieve eenheden
6qhd8rJcCVE j6VwtzlDZUpgrade naar KadastraleKaart Pro

Appartementsrechten

poLKYBnLgTIUWKUpgrade naar KadastraleKaart Pro

Vergunningverlenende instanties

qXyi Ftw V1NCx J6AIPvRUpgrade naar KadastraleKaart Pro

Bedekking (BGT)

U9EdeaWkIum gUpgrade naar KadastraleKaart Pro

Publiekrechtelijke beperkingen

xg niejE7WBrO3WNRoUpgrade naar KadastraleKaart Pro

Grensnauwkeurigheid

PyU6Mu5 sQXsysRr3 W6AJUpgrade naar KadastraleKaart Pro

Coördinaten hoekpunten perceel

NF8 UhWQxjLyUpgrade naar KadastraleKaart Pro

Hoogteligging

u jMNSbSTj38qcjdP WB4Upgrade naar KadastraleKaart Pro

Laatst gewijzigd

10/08/2016

Kadastrale kaart met maatvoering 59,95
Kadastrale kaart pakket 28,95

Percelen

Gebruik de zoekbalk of klik op een perceel om informatie over het perceel te bekijken.
Locatie
Meten
Lagen
Download