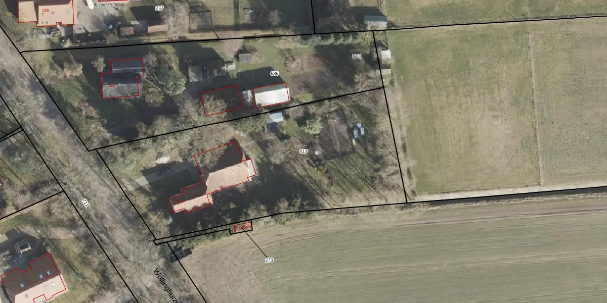
Perceel: VWD02-M-613

Adres bij perceel

Perceeloppervlakte & perceelomtrek

3.155 m2 - 255 m

Eigenaar van het perceel

Eigenaar opvragen

Kadastrale aanduiding

VWD02-M-613 (Vlagtwedde)

Postcode in perceel

    9541 VD

Type eigenaar

YCxstGzG81Wbq3gmdiMxrQL2ESfUpgrade naar KadastraleKaart Pro

Woning verkocht in 2022

Verkoopprijs opvragen

Google Street View

Bekijk op Street View

Download

Download DWG/DXF/Excel

Gerelateerde percelen

XSkwEf9OFuO 458s EcUpgrade naar KadastraleKaart Pro

Bebouwd/onbebouwd/water/groen

7usWtBtv5UiAAbUpgrade naar KadastraleKaart Pro
Administratieve eenheden
xblNAr3fEHixNuUpgrade naar KadastraleKaart Pro

Appartementsrechten

z sTH4Ox xUpgrade naar KadastraleKaart Pro

Vergunningverlenende instanties

Mi1wPKJbJrZImUpgrade naar KadastraleKaart Pro

Bedekking (BGT)

xWcx NwwQUpgrade naar KadastraleKaart Pro

Publiekrechtelijke beperkingen

PSOXKHsCv1Pi6vUpgrade naar KadastraleKaart Pro

Grensnauwkeurigheid

UQJOeZkrZb8d7o6ZUpgrade naar KadastraleKaart Pro

Coördinaten hoekpunten perceel

aQ8l zEJHx4UPc tMaH qUpgrade naar KadastraleKaart Pro

Hoogteligging

w4zDy w4aXb6dUpgrade naar KadastraleKaart Pro

Laatst gewijzigd

27/06/2002

Kadastrale kaart met maatvoering 59,95
Kadastrale kaart pakket 28,95

Percelen

Gebruik de zoekbalk of klik op een perceel om informatie over het perceel te bekijken.
Locatie
Meten
Lagen
Download