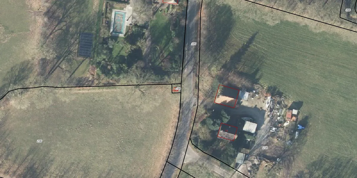
Perceel: WDN02-AC-199

Adres bij perceel

Perceeloppervlakte & perceelomtrek

25 m2 - 20 m

Eigenaar van het perceel

Eigenaar opvragen

Kadastrale aanduiding

WDN02-AC-199 (Wierden)

Postcode in perceel

    7468 SE

Type eigenaar

iUGtmOxJ fuZMXGn0YKUpgrade naar KadastraleKaart Pro

Google Street View

Bekijk op Street View

Download

Download DWG/DXF/Excel

Gerelateerde percelen

ivx5egxYIiIaICZUpgrade naar KadastraleKaart Pro

Bebouwd/onbebouwd/water/groen

gNL8w3LE pvadSUpgrade naar KadastraleKaart Pro
Administratieve eenheden
2pUCLxJygUpgrade naar KadastraleKaart Pro

Appartementsrechten

s0iAVtF AUf hlPWy M2QUpgrade naar KadastraleKaart Pro

Vergunningverlenende instanties

ktiUU5UzOAb3QGeAoGUpgrade naar KadastraleKaart Pro

Bedekking (BGT)

06z9cT7AiUpgrade naar KadastraleKaart Pro

Publiekrechtelijke beperkingen

tjGpJt ODlhB i6wBxh6Upgrade naar KadastraleKaart Pro

Grensnauwkeurigheid

RWHJgdpBUpgrade naar KadastraleKaart Pro

Coördinaten hoekpunten perceel

L vqrO76LwmpZX8Upgrade naar KadastraleKaart Pro

Hoogteligging

h JJ0O2NJq 6F7Upgrade naar KadastraleKaart Pro

Laatst gewijzigd

27/11/2015

Kadastrale kaart met maatvoering 59,95
Kadastrale kaart pakket 28,95

Percelen

Gebruik de zoekbalk of klik op een perceel om informatie over het perceel te bekijken.
Locatie
Meten
Lagen
Download