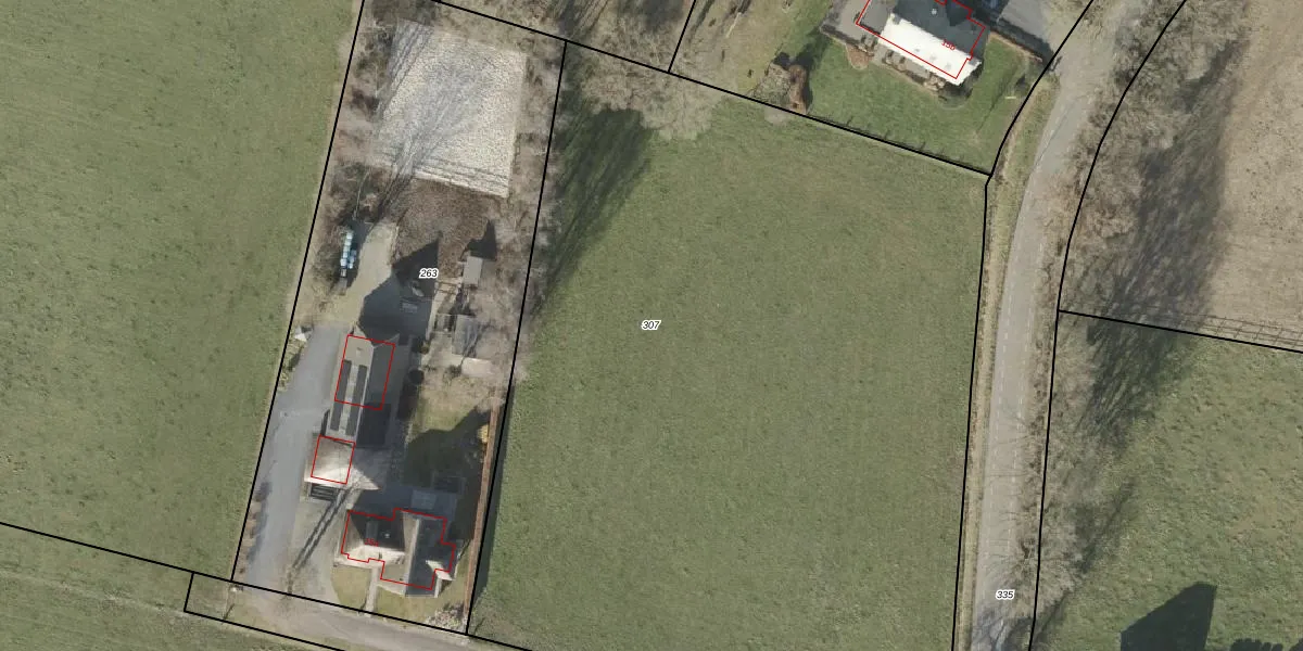
Perceel: WDN02-Z-307

Adres bij perceel

Geen adressen bij dit perceel

Perceeloppervlakte & perceelomtrek

6.445 m2 - 326 m

Eigenaar van het perceel

Eigenaar opvragen

Kadastrale aanduiding

WDN02-Z-307 (Wierden)

Postcode in perceel

    Geen postcode aanwezig

Type eigenaar

sZCrR0 6IOfAASv8slUpgrade naar KadastraleKaart Pro

Google Street View

Bekijk op Street View

Download

Download DWG/DXF/Excel

Gerelateerde percelen

wn3zm8YBvTPANrSC9H Upgrade naar KadastraleKaart Pro

Bebouwd/onbebouwd/water/groen

aeHHWrsUUpgrade naar KadastraleKaart Pro
Administratieve eenheden
rXxMKqC8RCNUpgrade naar KadastraleKaart Pro

Appartementsrechten

LE6WnWRX7ODwKsUpgrade naar KadastraleKaart Pro

Vergunningverlenende instanties

08cTa9HwFVKqBmzmUmUpgrade naar KadastraleKaart Pro

Bedekking (BGT)

G5HElvuKqAlt KRo6dUpgrade naar KadastraleKaart Pro

Publiekrechtelijke beperkingen

t oQ6oXzu3lAUpgrade naar KadastraleKaart Pro

Grensnauwkeurigheid

oyFQJVCwJBUpgrade naar KadastraleKaart Pro

Coördinaten hoekpunten perceel

s0k cvxo Upgrade naar KadastraleKaart Pro

Hoogteligging

OUMLydn68x3uz fWUpgrade naar KadastraleKaart Pro

Laatst gewijzigd

12/03/2015

Kadastrale kaart met maatvoering 59,95
Kadastrale kaart pakket 28,95

Percelen

Gebruik de zoekbalk of klik op een perceel om informatie over het perceel te bekijken.
Locatie
Meten
Lagen
Download