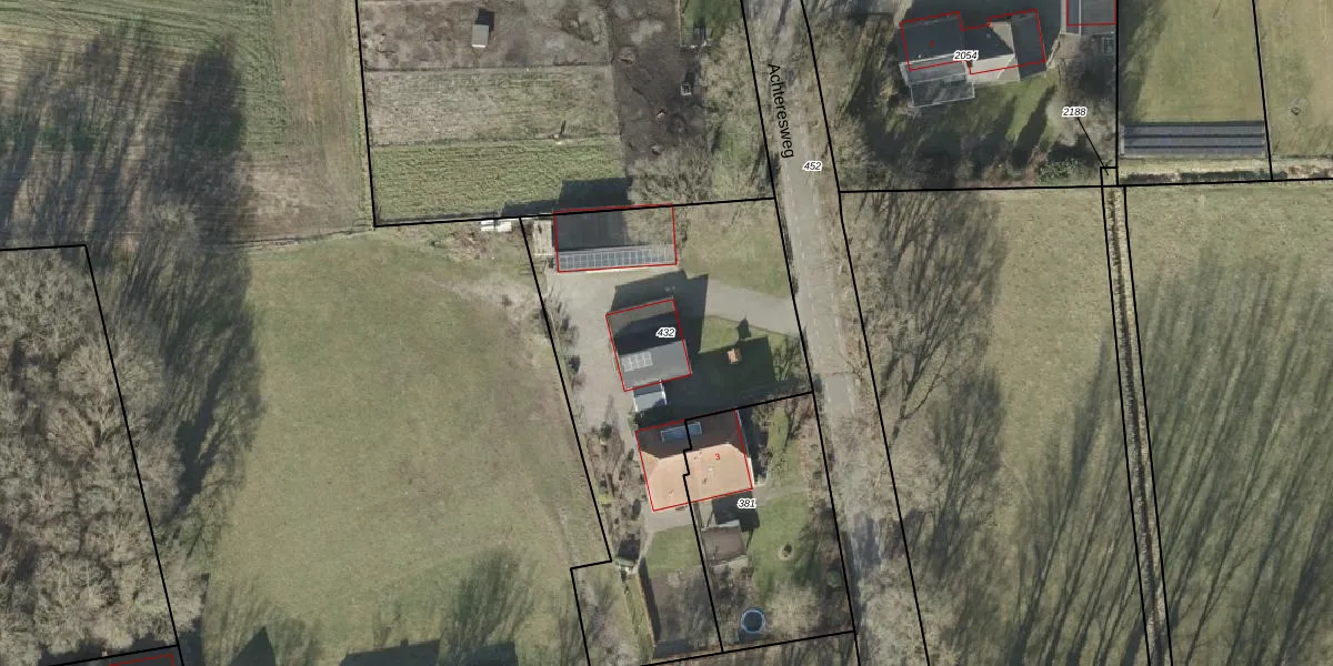
Perceel: WDN02-Z-432

Adres bij perceel

Perceeloppervlakte & perceelomtrek

1.790 m2 - 221 m

Eigenaar van het perceel

Eigenaar opvragen

Kadastrale aanduiding

WDN02-Z-432 (Wierden)

Postcode in perceel

    7468 PP

Type eigenaar

S E oC0Tm zqP1CV WZ6XRuUpgrade naar KadastraleKaart Pro

Woning verkocht in 1997

Verkoopprijs opvragen

Google Street View

Bekijk op Street View

Download

Download DWG/DXF/Excel

Gerelateerde percelen

iLHirBaOcXTUtUpgrade naar KadastraleKaart Pro

Bebouwd/onbebouwd/water/groen

WCl Rd HsPRSRRYSwrQB9Upgrade naar KadastraleKaart Pro
Administratieve eenheden
elVKKLqKjiPhgx1iScXUpgrade naar KadastraleKaart Pro

Appartementsrechten

qylI8LAPKOjrxUpgrade naar KadastraleKaart Pro

Vergunningverlenende instanties

ZgRU jY S8rjP8LM1Upgrade naar KadastraleKaart Pro

Bedekking (BGT)

sA1nxqNzvLf E7J ERbVkUpgrade naar KadastraleKaart Pro

Publiekrechtelijke beperkingen

HJTcuuzys91t16Y2Upgrade naar KadastraleKaart Pro

Grensnauwkeurigheid

o 7 Dxn0LiC4MUpgrade naar KadastraleKaart Pro

Coördinaten hoekpunten perceel

0431PKu9NycU8 Upgrade naar KadastraleKaart Pro

Hoogteligging

9EiIWbdLbf27EIwXUpgrade naar KadastraleKaart Pro

Laatst gewijzigd

12/03/2015

Kadastrale kaart met maatvoering 59,95
Kadastrale kaart pakket 28,95

Percelen

Gebruik de zoekbalk of klik op een perceel om informatie over het perceel te bekijken.
Locatie
Meten
Lagen
Download