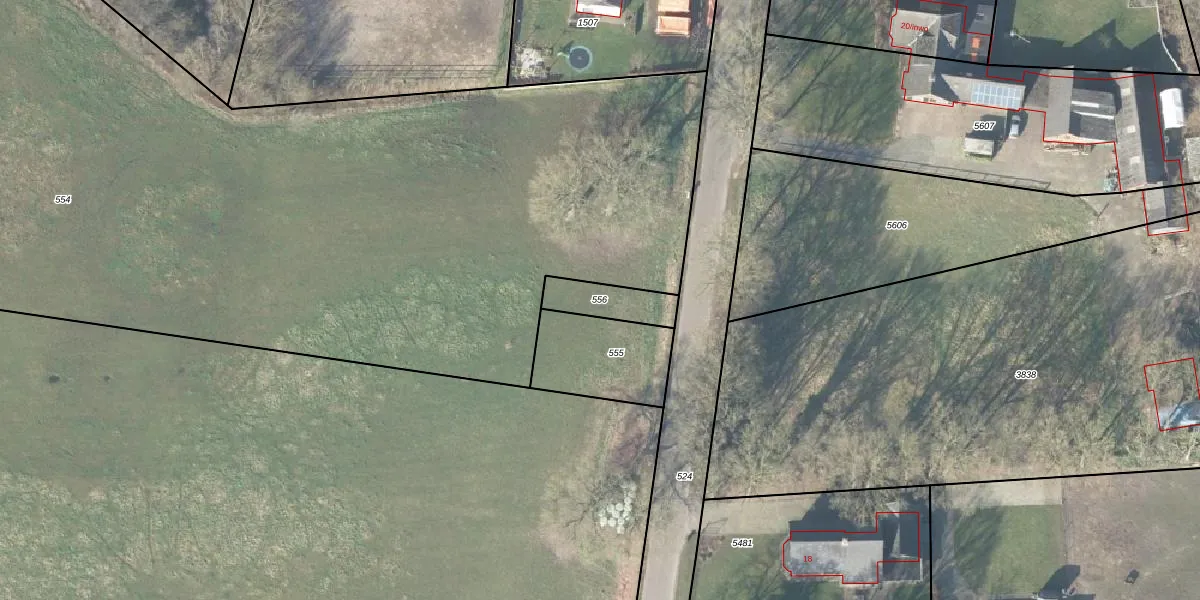
Perceel: WDN02-Z-556
Geen adressen bij dit perceel
125 m2 - 56 m
Eigenaar opvragen
WDN02-Z-556 (Wierden)
- Geen postcode aanwezig
B 6xTsMNYz2AKdoaiCTUpgrade naar KadastraleKaart Pro
Bekijk op Street View
Download DWG/DXF/Excel
XfCSIAVIu3hLwIMLnx0Upgrade naar KadastraleKaart Pro
u7hUJv 06xyQMb87Upgrade naar KadastraleKaart Pro
p9unJ5I VS93OABpcGUaERUpgrade naar KadastraleKaart Pro
AU tTL pD sUpgrade naar KadastraleKaart Pro
Wy8YT1dEYMkWJVUpgrade naar KadastraleKaart Pro
Ce4DC23lZy bWEmSaepeUpgrade naar KadastraleKaart Pro
TvdRdjA8LUYCUpgrade naar KadastraleKaart Pro
fPIt5 s wyyjN PBUpgrade naar KadastraleKaart Pro
Qy6 5CqzURUpgrade naar KadastraleKaart Pro
xyJrMLeLl0C17YUpgrade naar KadastraleKaart Pro
12/03/2015
Percelen
Gebruik de zoekbalk of klik op een perceel om informatie over het perceel te bekijken.








