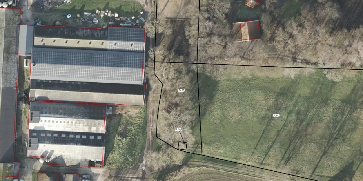
Perceel: WHE00-B-2425

Adres bij perceel

Geen adressen bij dit perceel

Perceeloppervlakte & perceelomtrek

1.025 m2 - 162 m

Eigenaar van het perceel

Eigenaar opvragen

Kadastrale aanduiding

WHE00-B-2425 (Wijhe)

Postcode in perceel

    Geen postcode aanwezig

Type eigenaar

Hm4F2IL6FXGIGr O3WNVN6QE95cvUpgrade naar KadastraleKaart Pro

Google Street View

Bekijk op Street View

Download

Download DWG/DXF/Excel

Gerelateerde percelen

F roWTj4J Upgrade naar KadastraleKaart Pro

Bebouwd/onbebouwd/water/groen

RYLRo88khrvDRLMkPnjUpgrade naar KadastraleKaart Pro
Administratieve eenheden
w FX uGoGKE1qRhv R 6Upgrade naar KadastraleKaart Pro

Appartementsrechten

dKbMjCvJUpgrade naar KadastraleKaart Pro

Vergunningverlenende instanties

RnHqXY8tx5I4MdZ03aUpgrade naar KadastraleKaart Pro

Bedekking (BGT)

fNIeRB 0Upgrade naar KadastraleKaart Pro

Publiekrechtelijke beperkingen

pir4VpMFUpgrade naar KadastraleKaart Pro

Grensnauwkeurigheid

bwAkGpiodNDgqiX457TMc3GUpgrade naar KadastraleKaart Pro

Coördinaten hoekpunten perceel

R Bo uC1Yj6jZzDx9oH9oBuUpgrade naar KadastraleKaart Pro

Hoogteligging

uu B4CDy5y2vxZUpgrade naar KadastraleKaart Pro

Laatst gewijzigd

19/06/2003

Kadastrale kaart met maatvoering 59,95
Kadastrale kaart pakket 28,95

Percelen

Gebruik de zoekbalk of klik op een perceel om informatie over het perceel te bekijken.
Locatie
Meten
Lagen
Download