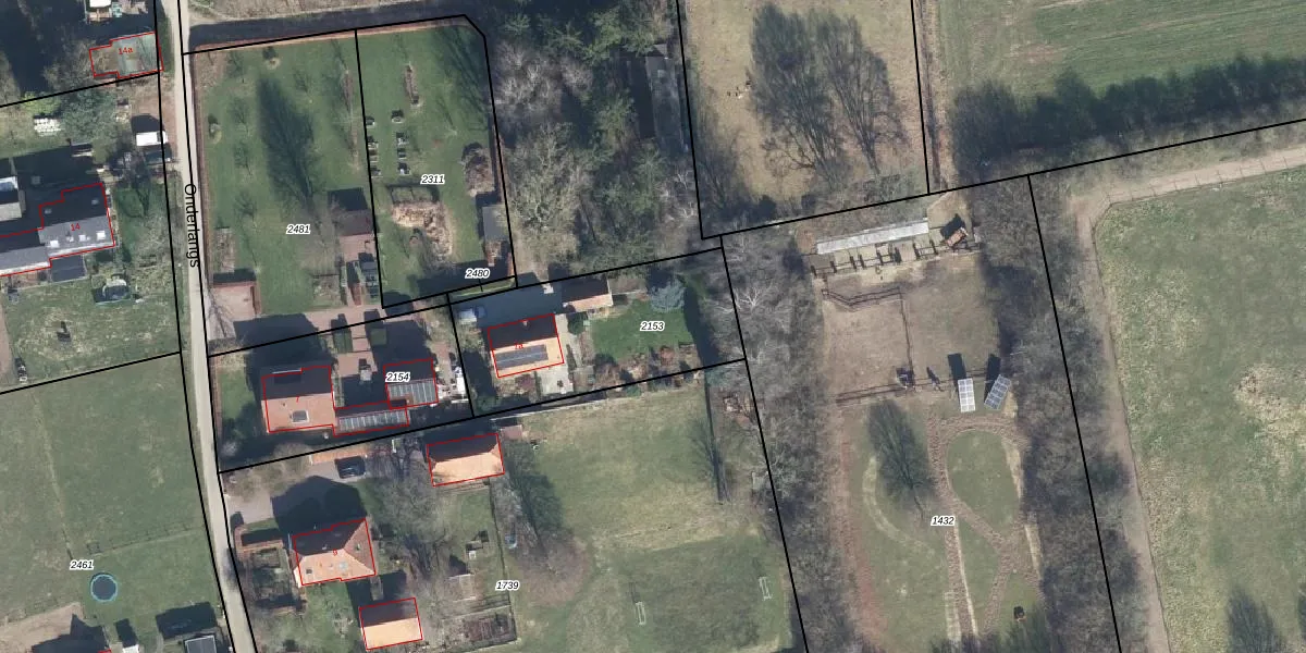
Perceel: ZDM02-H-2153

Adres bij perceel

Perceeloppervlakte & perceelomtrek

700 m2 - 121 m

Eigenaar van het perceel

Eigenaar opvragen

Kadastrale aanduiding

ZDM02-H-2153 (Zeddam)

Postcode in perceel

    7047 CR

Type eigenaar

5Ofd41yy wvj uO0Upgrade naar KadastraleKaart Pro

Google Street View

Bekijk op Street View

Download

Download DWG/DXF/Excel

Gerelateerde percelen

sm8bUNHD6Ygr28 sX b3Upgrade naar KadastraleKaart Pro

Bebouwd/onbebouwd/water/groen

q0OtPh QB0Upgrade naar KadastraleKaart Pro
Administratieve eenheden
sEOLAyzO0 pihUpgrade naar KadastraleKaart Pro

Appartementsrechten

jIqXGCtX3 AUpgrade naar KadastraleKaart Pro

Vergunningverlenende instanties

2OmpH9BfOQe4LgMetxptrUpgrade naar KadastraleKaart Pro

Bedekking (BGT)

i3dqoOqOUpgrade naar KadastraleKaart Pro

Publiekrechtelijke beperkingen

ROgPEOm5YoATQKzZQUpgrade naar KadastraleKaart Pro

Grensnauwkeurigheid

CL23CT9IUUpgrade naar KadastraleKaart Pro

Coördinaten hoekpunten perceel

uPFj7TdnHq1 FcolmwLCsSUpgrade naar KadastraleKaart Pro

Hoogteligging

CAJgnBvNR vOvcUpgrade naar KadastraleKaart Pro

Laatst gewijzigd

16/12/2008

Kadastrale kaart met maatvoering 59,95
Kadastrale kaart pakket 28,95

Percelen

Gebruik de zoekbalk of klik op een perceel om informatie over het perceel te bekijken.
Locatie
Meten
Lagen
Download